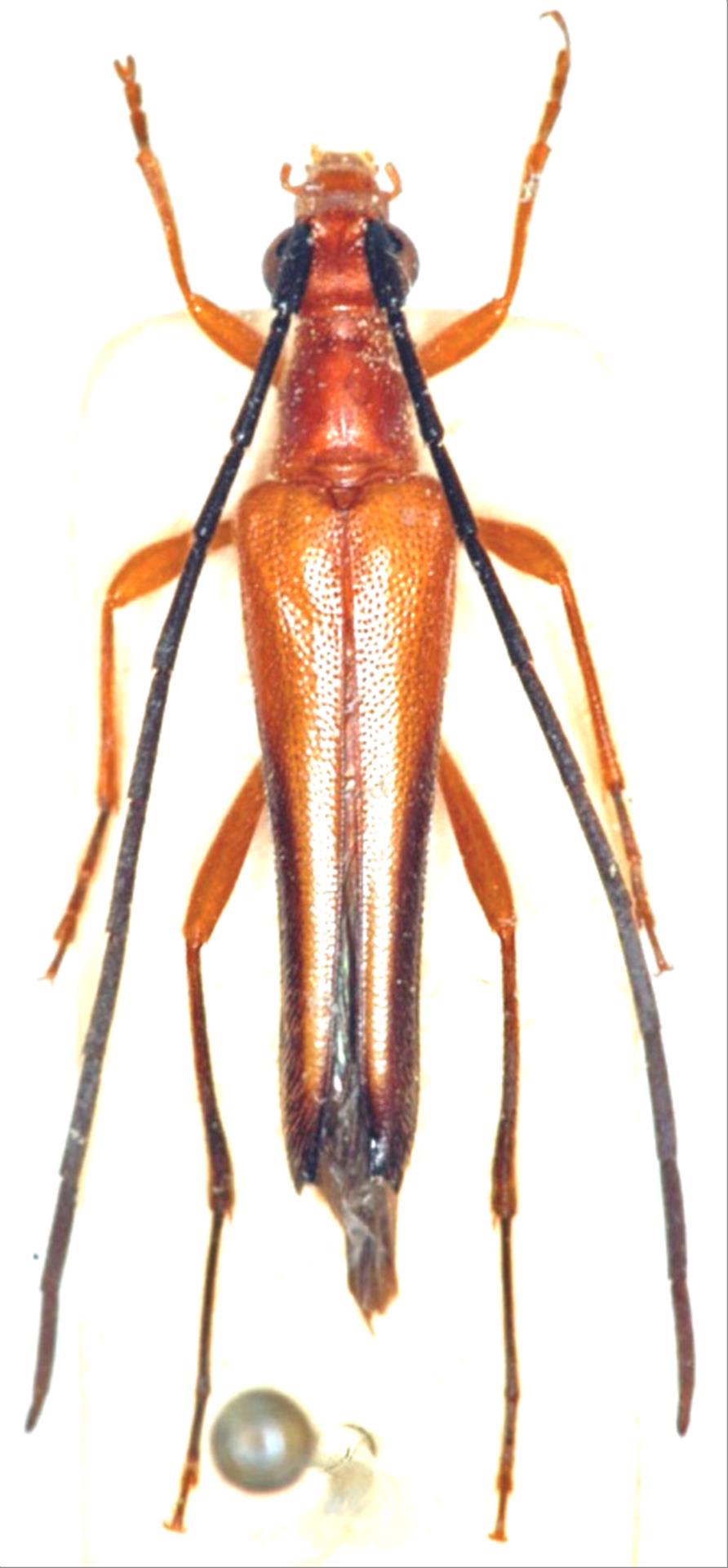
日本産カミキリムシ

クロサワヘリグロハナカミキリ
カミキリムシ科
ハナカミキリ亜科


Eustrangalis anticereductus  Hashi, 1958
Cerambycidae
Lepturinae
標本データ
性:オス
体長(mm):14
採集日:1968/06/06
採集地(国):日本
採集地(都道府県):宮崎県
採集地(市町村):椎葉村久留美峠
採集地(詳細):国見峠
更新日:2017/08/08



戻る