日本産カミキリムシ

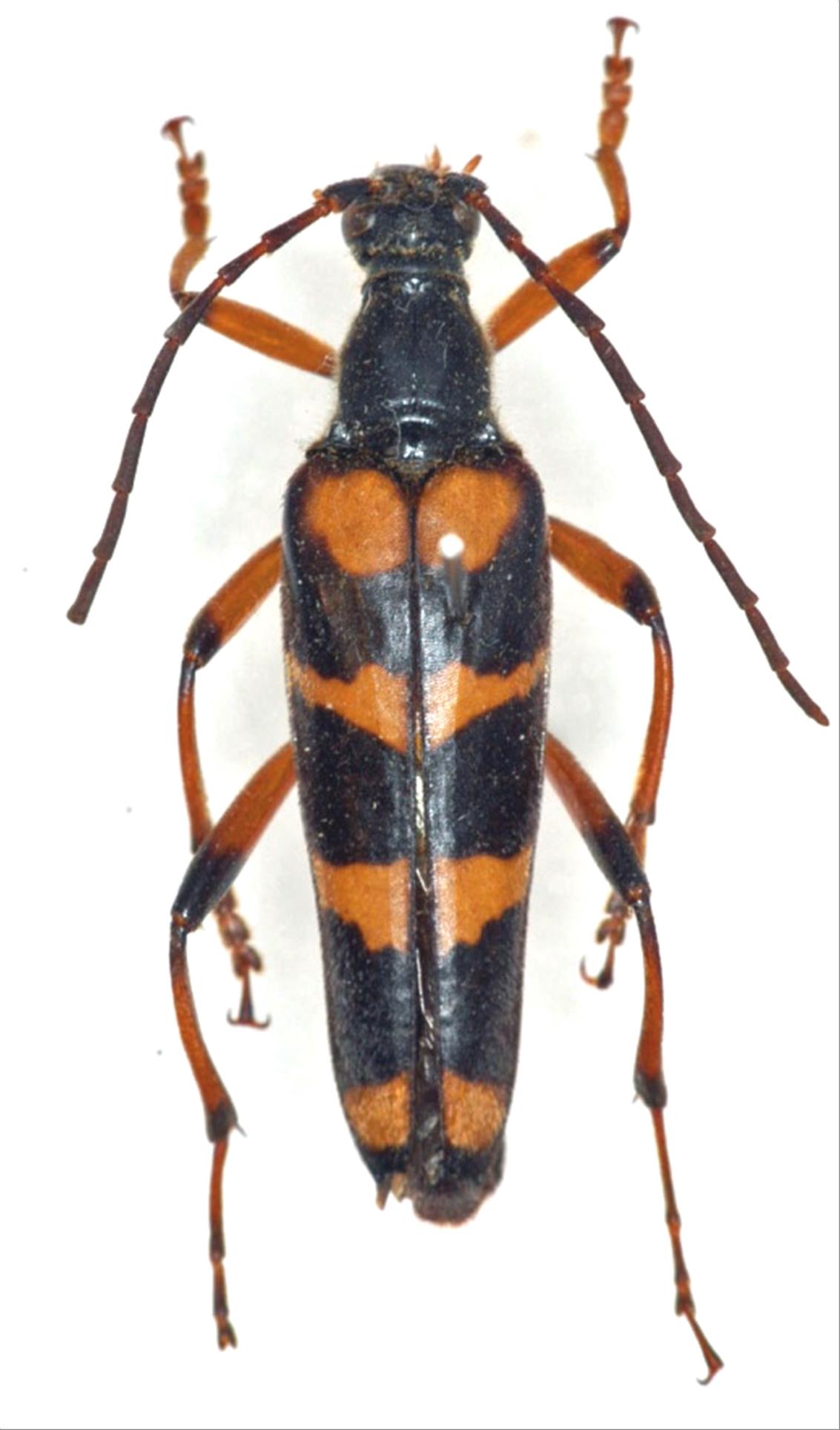
オオヨツスジハナカミキリ
カミキリムシ科
ハナカミキリ亜科


Bellamira regalis  (Bates, 1884)
Cerambycidae
Lepturinae
標本データ
性:オス
体長(mm):26
採集日:1970/08/06
採集地(国):日本
採集地(都道府県):北海道
採集地(市町村):興部町宇津
採集地(詳細):
更新日:2017/08/08



戻る