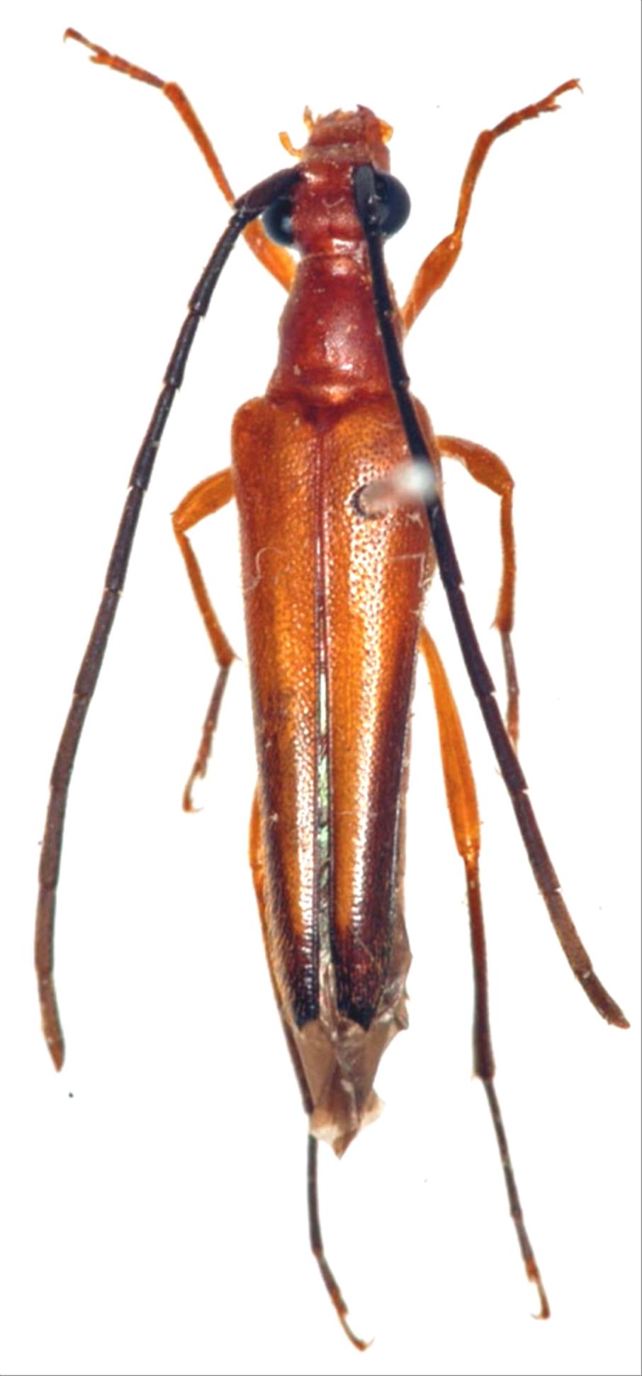
日本産カミキリムシ

クロサワヘリグロハナカミキリ
カミキリムシ科
ハナカミキリ亜科


Eustrangalis anticereductus  Hashi, 1958
Cerambycidae
Lepturinae
標本データ
性:メス
体長(mm):14
採集日:1948/06/18
採集地(国):日本
採集地(都道府県):北海道
採集地(市町村):帯広市岩内
採集地(詳細):
更新日:2017/08/08



戻る