|
|
|
|
|
|
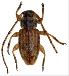
ケシカミキリ Sciades tonsus (Bates, 1873) オス 山形県 |
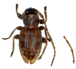
ケシカミキリ Sciades tonsus (Bates, 1873) メス 山形県 |
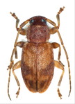
フタツメケシカミキリ Nobuosciades bioculata (Matsumura et Matsushita, 1933) オス 東京都 |
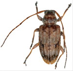
フタツメケシカミキリ Nobuosciades bioculata (Matsumura et Matsushita, 1933) メス 東京都 |
ケズネケシカミキリ Nobuosciades lanata (N. Ohbayashi, 1976) オス 東京都 |
ケズネケシカミキリ Nobuosciades lanata (N. Ohbayashi, 1976) メス 東京都 |
|
|
|
|
|
|
オガサワラカミキリ Boninella degenerata Gressitt, 1956 オス 東京都 |
オガサワラカミキリ Boninella degenerata Gressitt, 1956 メス 東京都 |
ヒメオガサワラカミキリ Boninella igai N. Ohbayashi, 1976 オス 東京都 |
ヒメオガサワラカミキリ Boninella igai N. Ohbayashi, 1976 メス 東京都 |
サトウオガサワラカミキリ Boninella satoi (N. Ohbayashi, 1976) オス 東京都 |
サトウオガサワラカミキリ Boninella satoi (N. Ohbayashi, 1976) メス 東京都 |
|
|
|
|
|
|
ハハジマサトウオガサワラカミキリ Boninella satoi masatakai Hasegawa et N. Ohbayashi, 2009 オス 東京都 |
ハハジマサトウオガサワラカミキリ Boninella satoi masatakai Hasegawa et N. Ohbayashi, 2009 メス 東京都 |
ケズネオガサワラカミキリ Boninella anoplos (N. Ohbayashi, 1976) オス 東京都 |
アラゲオガサワラカミキリ Boninella hirsuta (N. Ohbayashi, 1976) オス 東京都 |
アラゲオガサワラカミキリ Boninella hirsuta (N. Ohbayashi, 1976) メス 東京都 |
カメザワオガサワラカミキリ Boninella kamezawai Hasegawa et N. Ohbayashi, 2009 オス 東京都 |