日本産カミキリムシ

ケズネケシカミキリ
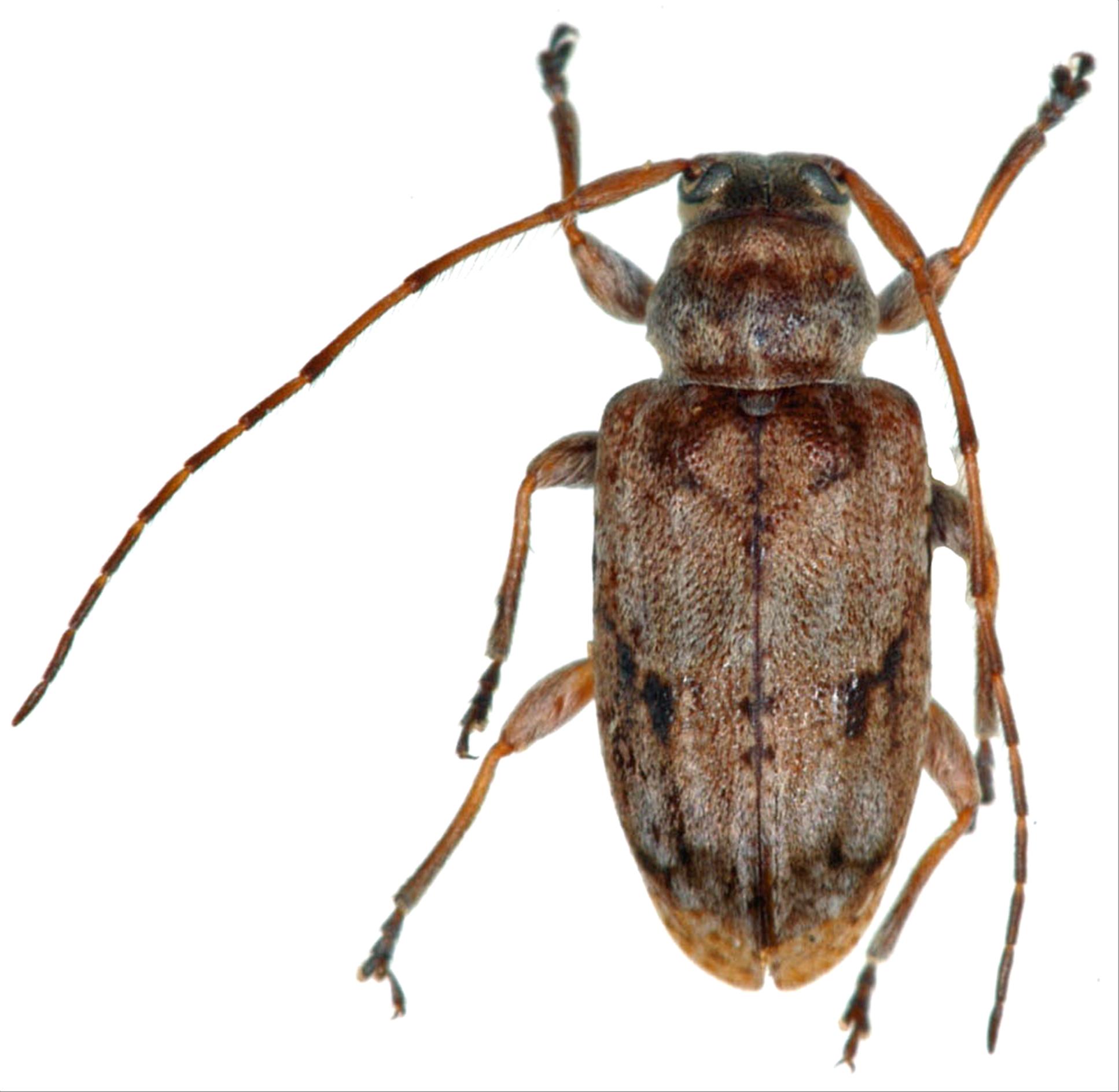
カミキリムシ科
フトカミキリ亜科


Nobuosciades  lanata  (N. Ohbayashi, 1976)
Cerambycidae
Lamiinae
標本データ
性:メス
体長(mm):6
採集日:1982/10/20 〜 1982/10/21
採集地(国):日本
採集地(都道府県):東京都
採集地(市町村):小笠原村母島
採集地(詳細):
更新日:2017/08/08



戻る