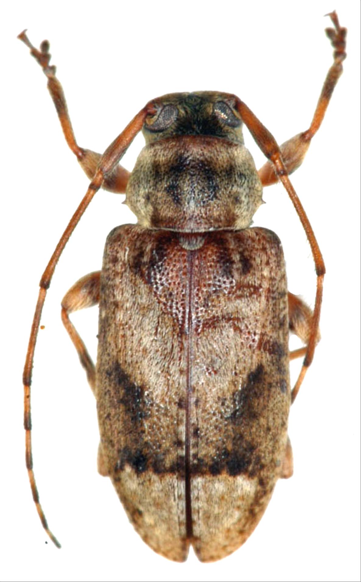
日本産カミキリムシ

フタツメケシカミキリ
カミキリムシ科
フトカミキリ亜科


Nobuosciades bioculata  (Matsumura et Matsushita, 1933)
Cerambycidae
Lamiinae
標本データ
性:メス
体長(mm):7
採集日:1983/07/09 〜 1983/07/12
採集地(国):日本
採集地(都道府県):東京都
採集地(市町村):小笠原村母島
採集地(詳細):
更新日:2017/08/08



戻る