日本産カミキリムシ

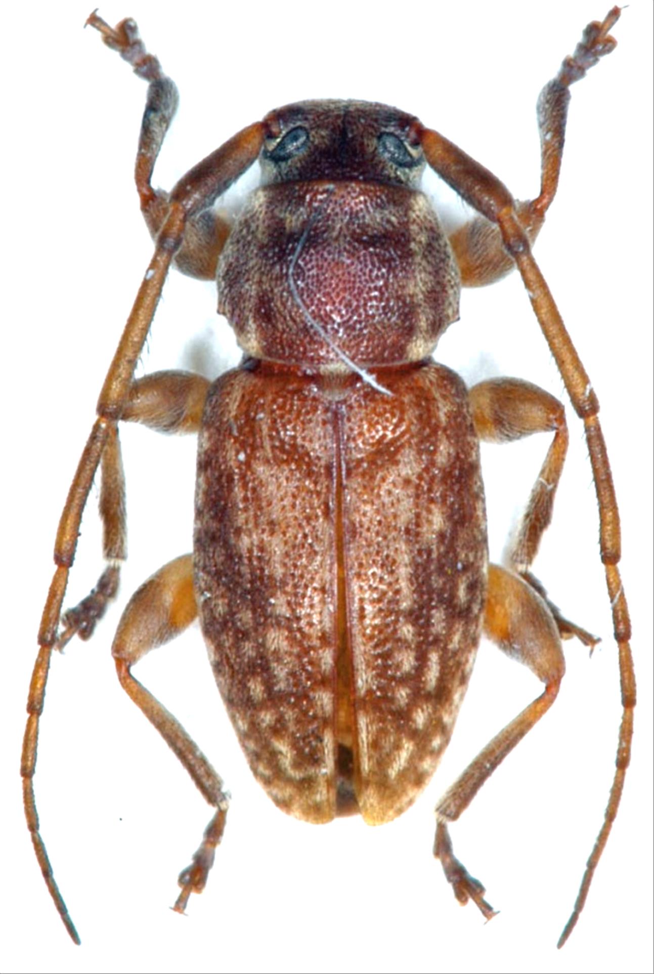
サトウオガサワラカミキリ
カミキリムシ科
フトカミキリ亜科


Boninella satoi  (N. Ohbayashi, 1976)
Cerambycidae
Lamiinae
標本データ
性:オス
体長(mm):5
採集日:1996/08
採集地(国):日本
採集地(都道府県):東京都
採集地(市町村):小笠原村兄島
採集地(詳細):
更新日:2017/08/08



戻る