日本産カミキリムシ

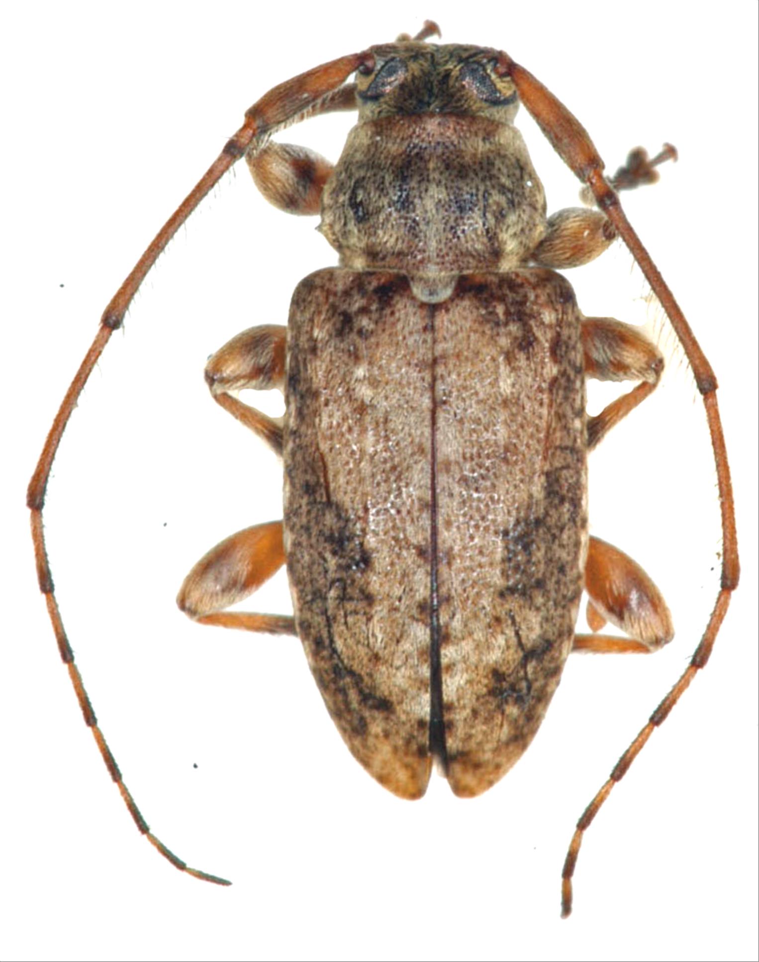
フタツメケシカミキリ
カミキリムシ科
フトカミキリ亜科


Nobuosciades bioculata  (Matsumura et Matsushita, 1933)
Cerambycidae
Lamiinae
標本データ
性:オス
体長(mm):6
採集日:1982/06/03 〜 1982/06/06
採集地(国):日本
採集地(都道府県):東京都
採集地(市町村):小笠原村父島
採集地(詳細):
更新日:2017/08/08



戻る