|
|
|
|
|
|
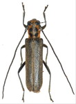
スジシロカミキリ Glenea lineata lineata Gahan, 1897 オス 鹿児島県 |
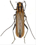
スジシロカミキリ Glenea lineata lineata Gahan, 1897 メス 鹿児島県 |
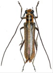
オキナワスジシロカミキリ Glenea lineata ihai Hayashi, 1960 オス 沖縄県 |
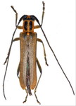
オキナワスジシロカミキリ Glenea lineata ihai Hayashi, 1960 メス 沖縄県 |
イシガキスジシロカミキリ Glenea ryukyuuensis Breuning et K. Ohbayasi, 1964 オス 沖縄県 |
イシガキスジシロカミキリ Glenea ryukyuuensis Breuning et K. Ohbayasi, 1964 メス 沖縄県 |
|
|
|
|
|
|
ヒメスジシロカミキリ Heteroglenea glechoma (Pascoe, 1867) オス 沖縄県 |
ヒメスジシロカミキリ Heteroglenea glechoma (Pascoe, 1867) メス 沖縄県 |
キバネニセリンゴカミキリ Eumecocera anomala (Bates, 1884) オス 鹿児島県 |
キバネニセリンゴカミキリ Eumecocera anomala (Bates, 1884) メス 鹿児島県 |
シラホシキクスイカミキリ Eumecocera gleneoides (Gressitt, 1935) オス 福島県 |
シラホシキクスイカミキリ Eumecocera gleneoides (Gressitt, 1935) メス 福島県 |
|
|
|
|
|
|
ヨスジアオカミキリ Eumecocera impustulata (Motschulsky, 1860) オス 長崎県 |
ヨスジアオカミキリ Eumecocera impustulata (Motschulsky, 1860) メス 長崎県 |
セミスジニセリンゴカミキリ Eumecocera trivittata (Breuning, 1947) オス 大分県 |
セミスジニセリンゴカミキリ Eumecocera trivittata (Breuning, 1947) メス 大分県 |
ジュウモンジニセリンゴカミキリ Eumecocera minamii Makihara, 1984 オス 大分県 |
ジュウモンジニセリンゴカミキリ Eumecocera minamii Makihara, 1984 メス 大分県 |