日本産カミキリムシ

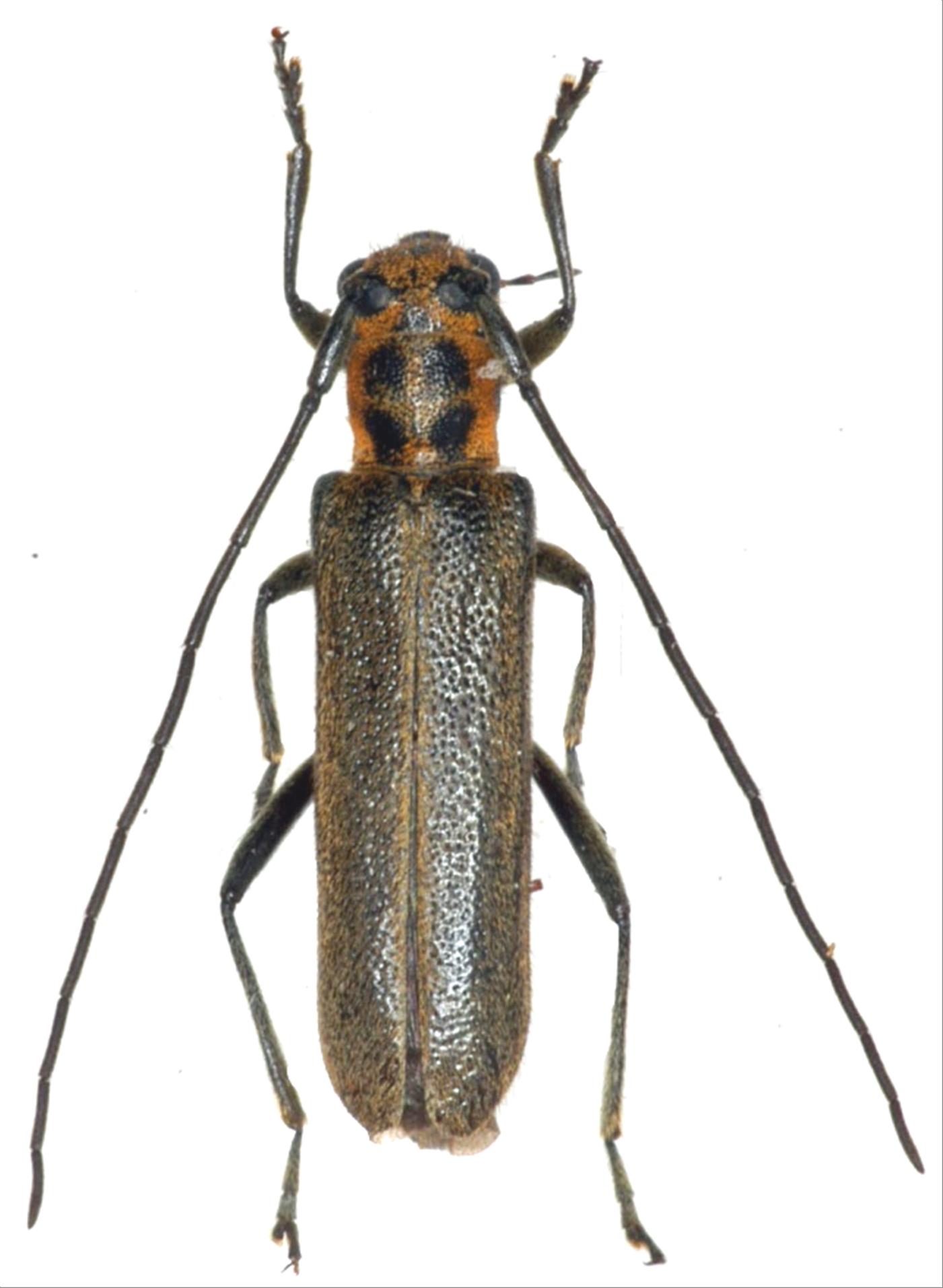
ジュウモンジニセリンゴカミキリ
カミキリムシ科
フトカミキリ亜科


Eumecocera minamii  Makihara, 1984
Cerambycidae
Lamiinae
標本データ
性:メス
体長(mm):10.1
採集日:1982/06/13
採集地(国):日本
採集地(都道府県):大分県
採集地(市町村):久住町黒岳
採集地(詳細):
更新日:2017/08/08



戻る