日本産カミキリムシ

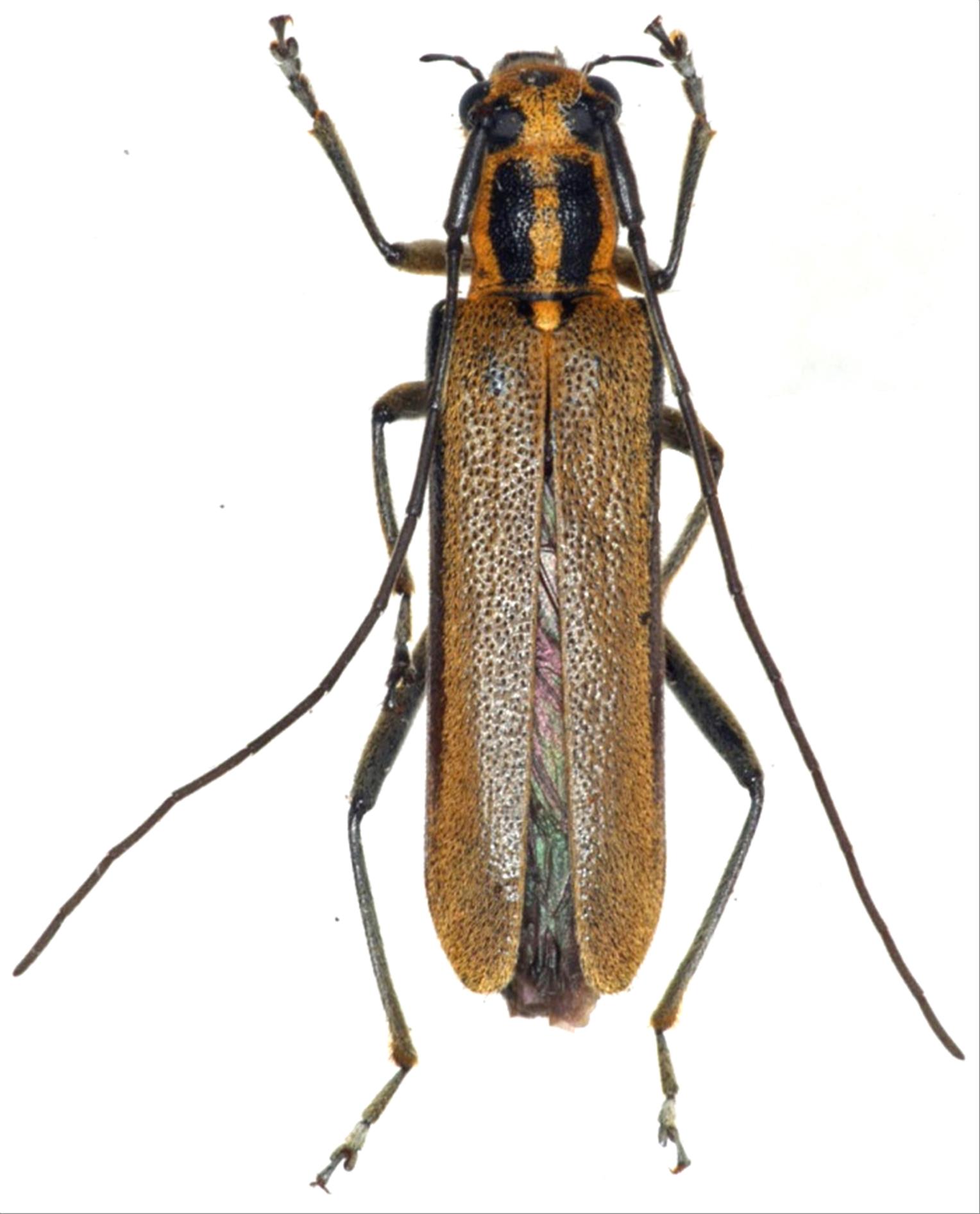
セミスジニセリンゴカミキリ
カミキリムシ科
フトカミキリ亜科


Eumecocera trivittata  (Breuning, 1947)
Cerambycidae
Lamiinae
標本データ
性:メス
体長(mm):13
採集日:1983/05/15
採集地(国):日本
採集地(都道府県):大分県
採集地(市町村):久住町黒岳
採集地(詳細):
更新日:2017/08/08



戻る