日本産カミキリムシ

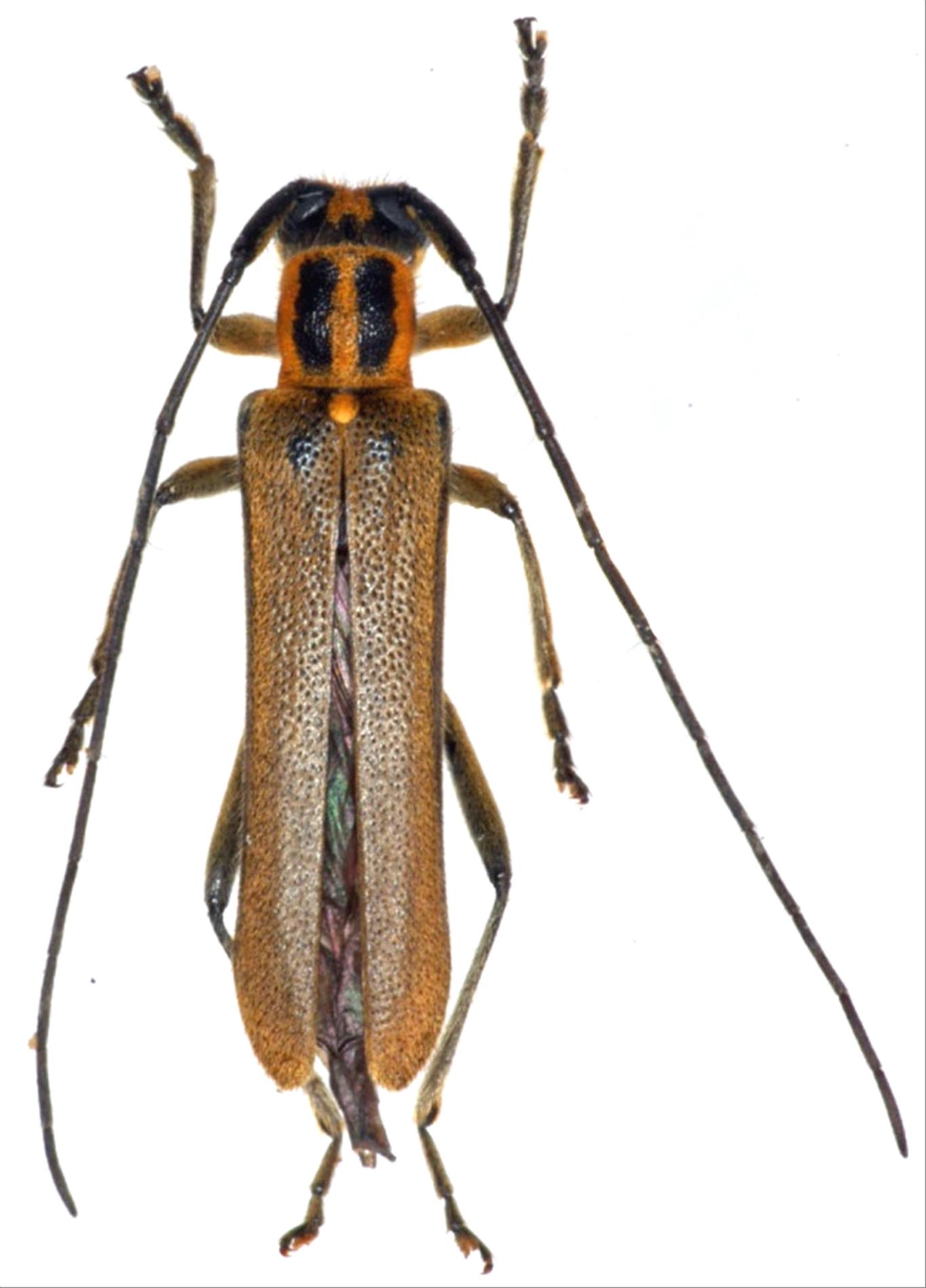
セミスジニセリンゴカミキリ
カミキリムシ科
フトカミキリ亜科


Eumecocera trivittata  (Breuning, 1947)
Cerambycidae
Lamiinae
標本データ
性:オス
体長(mm):12
採集日:1986/05/20 〜 1986/05/29
採集地(国):日本
採集地(都道府県):大分県
採集地(市町村):九重町九酔渓
採集地(詳細):
更新日:2017/08/08



戻る