|
|
|
|
|
|
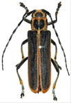
ヤツメカミキリ Eutetrapha ocelota (Bates, 1873) オス 福岡県 |
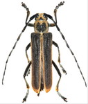
ヤツメカミキリ Eutetrapha ocelota (Bates, 1873) メス 鹿児島県 |
ハンノアオカミキリ Eutetrapha chrysochloris chrysochloris (Bates, 1879) オス 福島県 |
ハンノアオカミキリ Eutetrapha chrysochloris chrysochloris (Bates, 1879) メス 福島県 |
ハンノオオルリカミキリ Eutetrapha chryscchloris chrysargrea Bates, 1884 オス 福岡県 |
ハンノオオルリカミキリ Eutetrapha chryscchloris chrysargrea Bates, 1884 メス 愛媛県 |
|
|
|
|
|
|
フチグロヤツボシカミキリ Pareutetrapha eximia (Bates, 1884) オス 岩手県 |
フチグロヤツボシカミキリ Pareutetrapha eximia (Bates, 1884) メス 福島県 |
ムネモンウスアオカミキリ Pareutetrapha magnifica caeruleithoracica Takakuwa, 1984 オス 沖縄県 |
ムネモンウスアオカミキリ Pareutetrapha magnifica caeruleithoracica Takakuwa, 1984 メス 沖縄県 |
ニセシラホシカミキリ Pareutetrapha simulans (Bates, 1873) オス 山形県 |
ニセシラホシカミキリ Pareutetrapha simulans (Bates, 1873) メス 大分県 |
|
|
|
|
|
|
ハンノキカミキリ Cagosima sanguinolenta sanguinolenta Thomson, 1864 オス 長崎県 |
ハンノキカミキリ Cagosima sanguinolenta sanguinolenta Thomson, 1864 メス 北海道 |
イズオオシマハンノキカミキリ Cagosima sanguinolenta ashimaensis Kano, 1933 オス 東京都 |
イズオオシマハンノキカミキリ Cagosima sanguinolenta ashimaensis Kano, 1933 メス 東京都 |
アサカミキリ Thyestilla gebleri (Faldermann, 1835) オス 大分県 |
アサカミキリ Thyestilla gebleri (Faldermann, 1835) メス 大分県 |