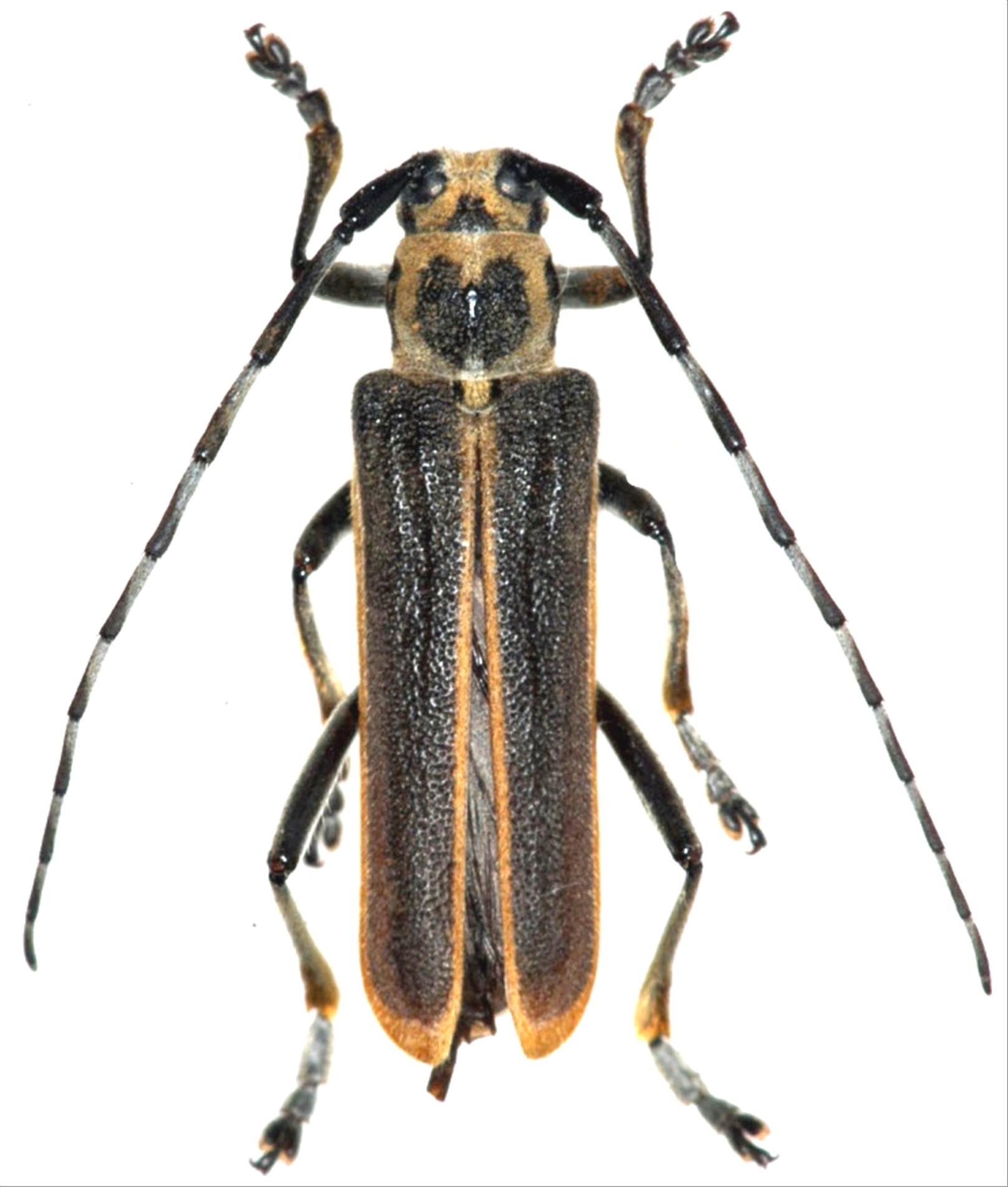
日本産カミキリムシ

イズオオシマハンノキカミキリ
カミキリムシ科
フトカミキリ亜科


Cagosima sanguinolenta ashimaensis  Kano, 1933
Cerambycidae
Lamiinae
標本データ
性:オス
体長(mm):18
採集日:1995/12/07
採集地(国):日本
採集地(都道府県):東京都
採集地(市町村):大島町元町
採集地(詳細):伊豆大島
更新日:2017/08/08



戻る