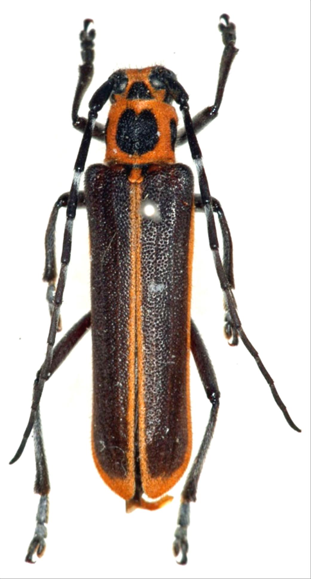
日本産カミキリムシ

ハンノキカミキリ
カミキリムシ科
フトカミキリ亜科


Cagosima sanguinolenta sanguinolenta  Thomson, 1864
Cerambycidae
Lamiinae
標本データ
性:オス
体長(mm):19
採集日:1977/05/11
採集地(国):日本
採集地(都道府県):長崎県
採集地(市町村):雲仙市
採集地(詳細):
更新日:2017/08/08



戻る