日本産カミキリムシ

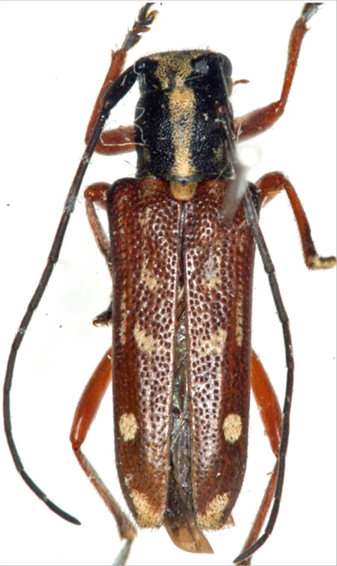
ニセシラホシカミキリ
カミキリムシ科
フトカミキリ亜科


Pareutetrapha simulans  (Bates, 1873)
Cerambycidae
Lamiinae
標本データ
性:メス
体長(mm):12
採集日:1977/08/18
採集地(国):日本
採集地(都道府県):大分県
採集地(市町村):九重町飯田高原
採集地(詳細):
更新日:2017/08/08



戻る