|
|
|
|
|
|
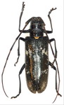
タニグチコブヤハズカミキリ Mesechthistatus taniguchii (Seki, 194) オス 岐阜県 |
タニグチコブヤハズカミキリ Mesechthistatus taniguchii (Seki, 194) メス 岐阜県 |
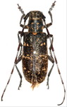
フジコブヤハズカミキリ Mesechthistatus fujisanus Hayashi, 1957 オス 山梨県 |
フジコブヤハズカミキリ Mesechthistatus fujisanus Hayashi, 1957 メス 東京都 |
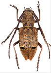
エゾカミキリ Lamia textor (Linnaeus, 1758) オス 北海道 |
エゾカミキリ Lamia textor (Linnaeus, 1758) メス 北海道 |
|
|
|
|
|
|
イタヤカミキリ Mecynippus pubicomis Bates, 1884 オス 鹿児島県 |
イタヤカミキリ Mecynippus pubicomis Bates, 1884 メス 福島県 |
コゲチャフタモンヒゲナガカミキリ Monochamus asiaticus (Hayashi, 1962) メス 沖縄県 |
マツノマダラカミキリ Monochamus alternatus Hope, 1842 オス 鹿児島県 |
マツノマダラカミキリ Monochamus alternatus Hope, 1842 メス 鹿児島県 |
カラフトヒゲナガカミキリ Monochamus saltuarius (Gebler, 1830) オス 石川県 |
|
|
|
|
|
|
カラフトヒゲナガカミキリ Monochamus saltuarius (Gebler, 1830) メス 岩手県 |
シラフヨツボシヒゲナガカミキリ Monochamus rosenmilleri (Cederhjelm, 1798) オス 北海道 |
シラフヨツボシヒゲナガカミキリ Monochamus rosenmilleri (Cederhjelm, 1798) メス 北海道 |
ヒメシラフヒゲナガカミキリ Monochamus sutor (Linnaeus, 1758) オス 北海道 |
ヒメシラフヒゲナガカミキリ Monochamus sutor (Linnaeus, 1758) メス 北海道 |
ヒゲナガカミキリ Monochamus grandis Waterhouse, 1881 オス 栃木県 |