日本産カミキリムシ

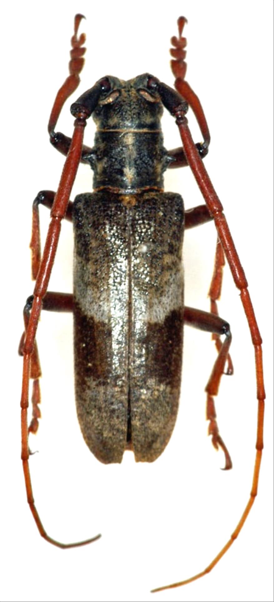
イタヤカミキリ
カミキリムシ科
フトカミキリ亜科


Mecynippus pubicomis  Bates, 1884
Cerambycidae
Lamiinae
標本データ
性:オス
体長(mm):21.5
採集日:1969/05/31
採集地(国):日本
採集地(都道府県):鹿児島県
採集地(市町村):霧島市湯之野
採集地(詳細):
更新日:2017/08/08



戻る