日本産カミキリムシ

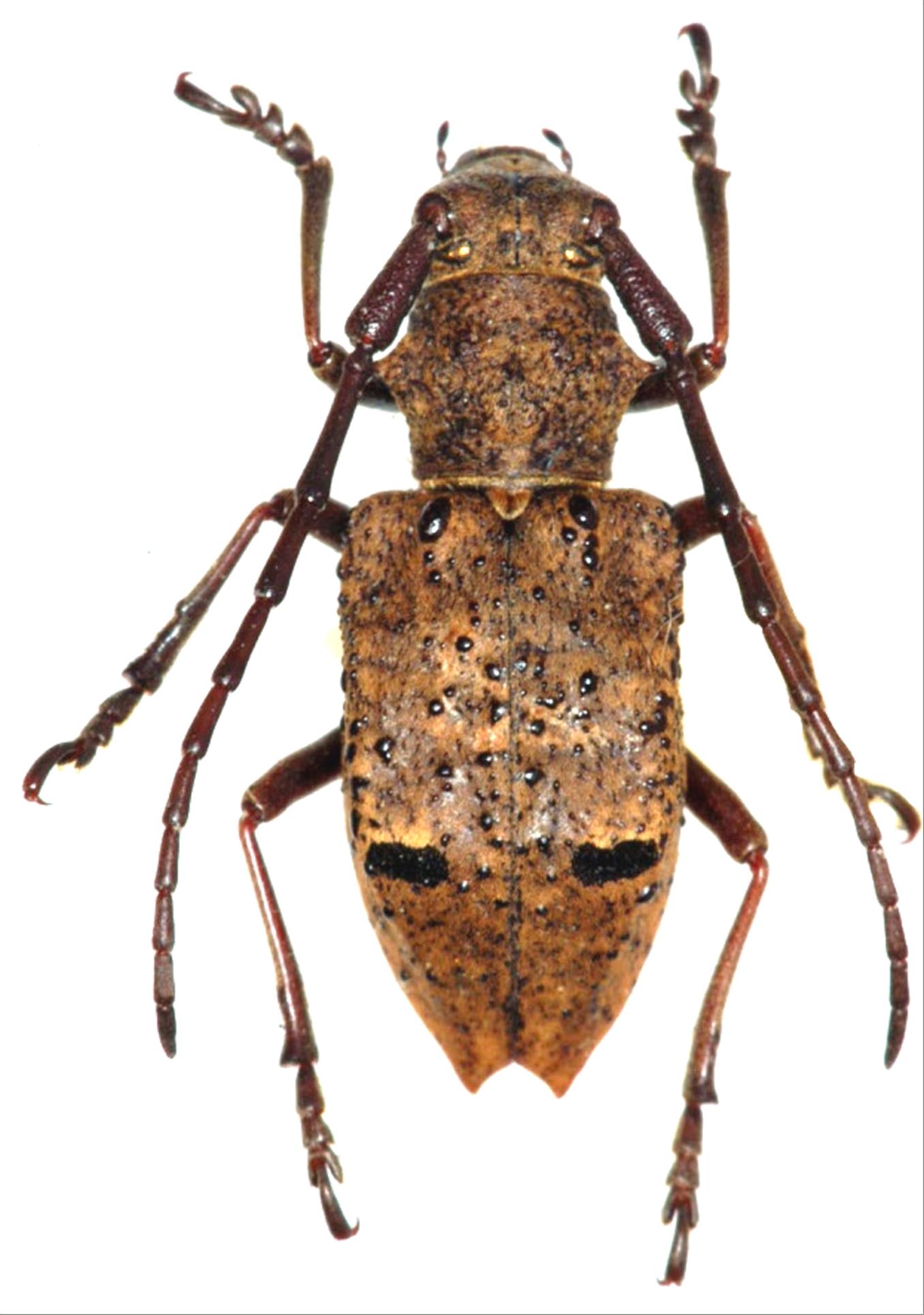
タニグチコブヤハズカミキリ
カミキリムシ科
フトカミキリ亜科


Mesechthistatus taniguchii  (Seki, 194)
Cerambycidae
Lamiinae
標本データ
性:メス
体長(mm):14.5
採集日:1982/10/04
採集地(国):日本
採集地(都道府県):岐阜県
採集地(市町村):下呂市御嶽山
採集地(詳細):
更新日:2017/08/08



戻る