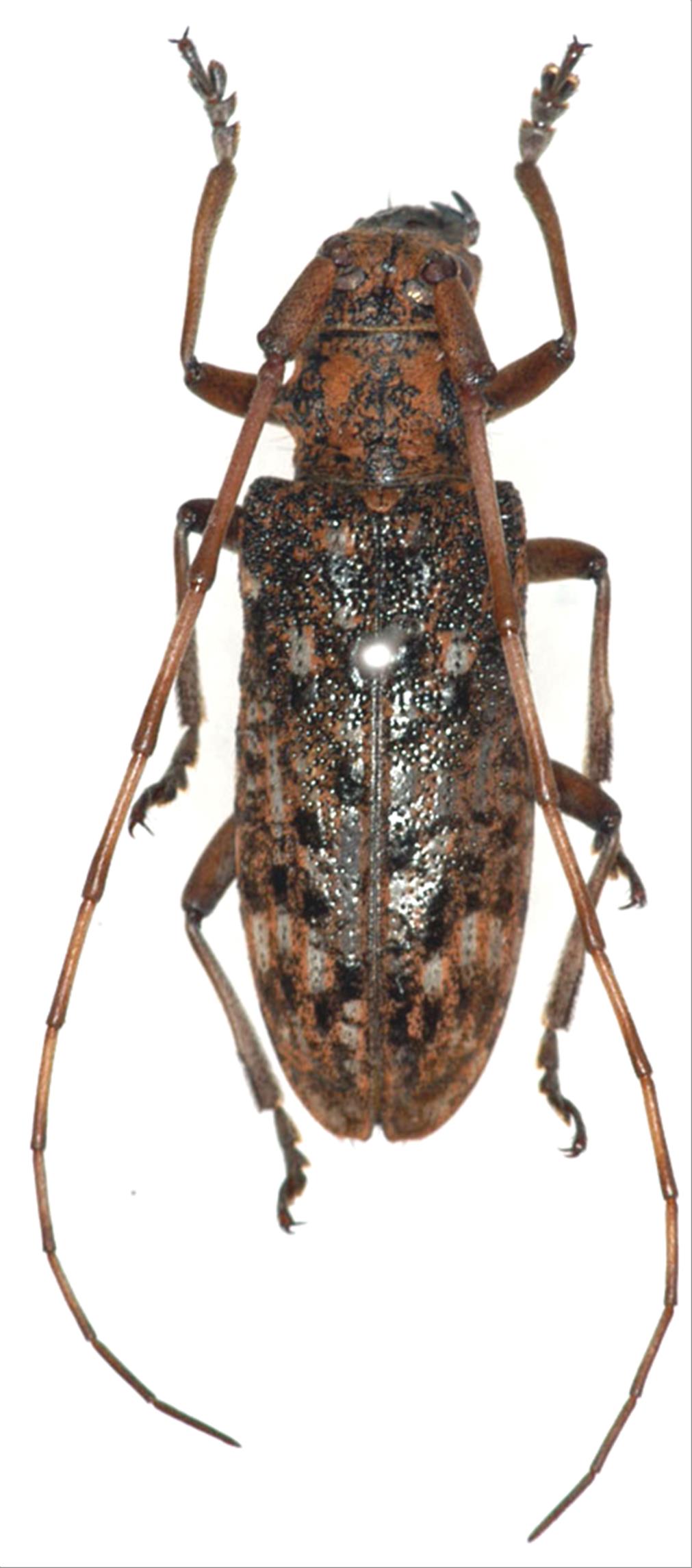
日本産カミキリムシ

マツノマダラカミキリ
カミキリムシ科
フトカミキリ亜科


Monochamus alternatus  Hope, 1842
Cerambycidae
Lamiinae
標本データ
性:メス
体長(mm):19
採集日:2003/10/12
採集地(国):日本
採集地(都道府県):鹿児島県
採集地(市町村):知名町大山
採集地(詳細):沖永良部島
更新日:2017/08/08



戻る