|
|
|
|
|
|
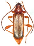
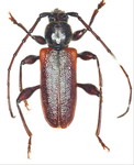
ヒメスギカミキリ Callidiellum rufipenne (Motschulky, 1860) オス 愛媛県 |
ヒメスギカミキリ Callidiellum rufipenne (Motschulky, 1860) メス 鹿児島県 |
アオヒメスギカミキリ Callidium chlorizans (Solsky, 1870) オス 北海道 |
アオヒメスギカミキリ Callidium chlorizans (Solsky, 1870) メス 北海道 |
ミドリヒメスギカミキリ Callidium kuratai Yokoyama, 1972 オス 栃木県 |
ミドリヒメスギカミキリ Callidium kuratai Yokoyama, 1972 メス 青森県 |
|
|
|
|
|
|
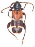
ビャクシンカミキリ Semanotus bifasciatus (Motschulsky, 1857) オス 青森県 |
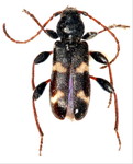
ビャクシンカミキリ Semanotus bifasciatus (Motschulsky, 1857) メス 青森県 |
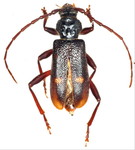
スギカミキリ Semanotus japonicus (Lacordaire, 1869) オス 茨城県 |
スギカミキリ Semanotus japonicus (Lacordaire, 1869) メス 茨城県 |
ヤクスギカミキリ Semanotus yakushimesis Makihara, 2004 オス 鹿児島県 |
チャイロチビヒラタカミキリ Phymatodes infaciatus Pic, 1935 オス 北海道 |
|
|
|
|
|
|
チャイロチビヒラタカミキリ Phymatodes infaciatus Pic, 1935 メス 北海道 |
チャイロホソヒラタカミキリ Phymatodes(Phymatodes) testaceus (Linnaeus, 1758) オス 福島県 |
チャイロホソヒラタカミキリ Phymatodes(Phymatodes) testaceus (Linnaeus, 1758) メス 福島県 |
アカネカミキリ Poecillium maaki viarium Danilevsky, 1988 オス 岩手県 |
アカネカミキリ Poecillium maaki viarium Danilevsky, 1988 メス 北海道 |
ヨツボシチビヒラタカミキリ Poecillium quadrimaculatum (Gressitt, 1935) オス 新潟県 |