日本産カミキリムシ

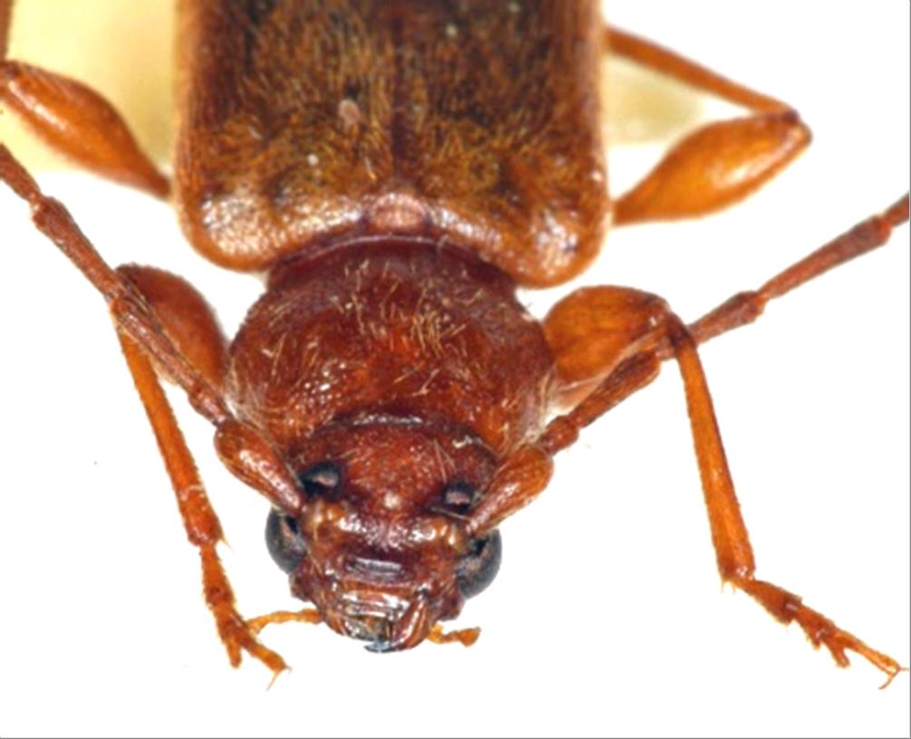
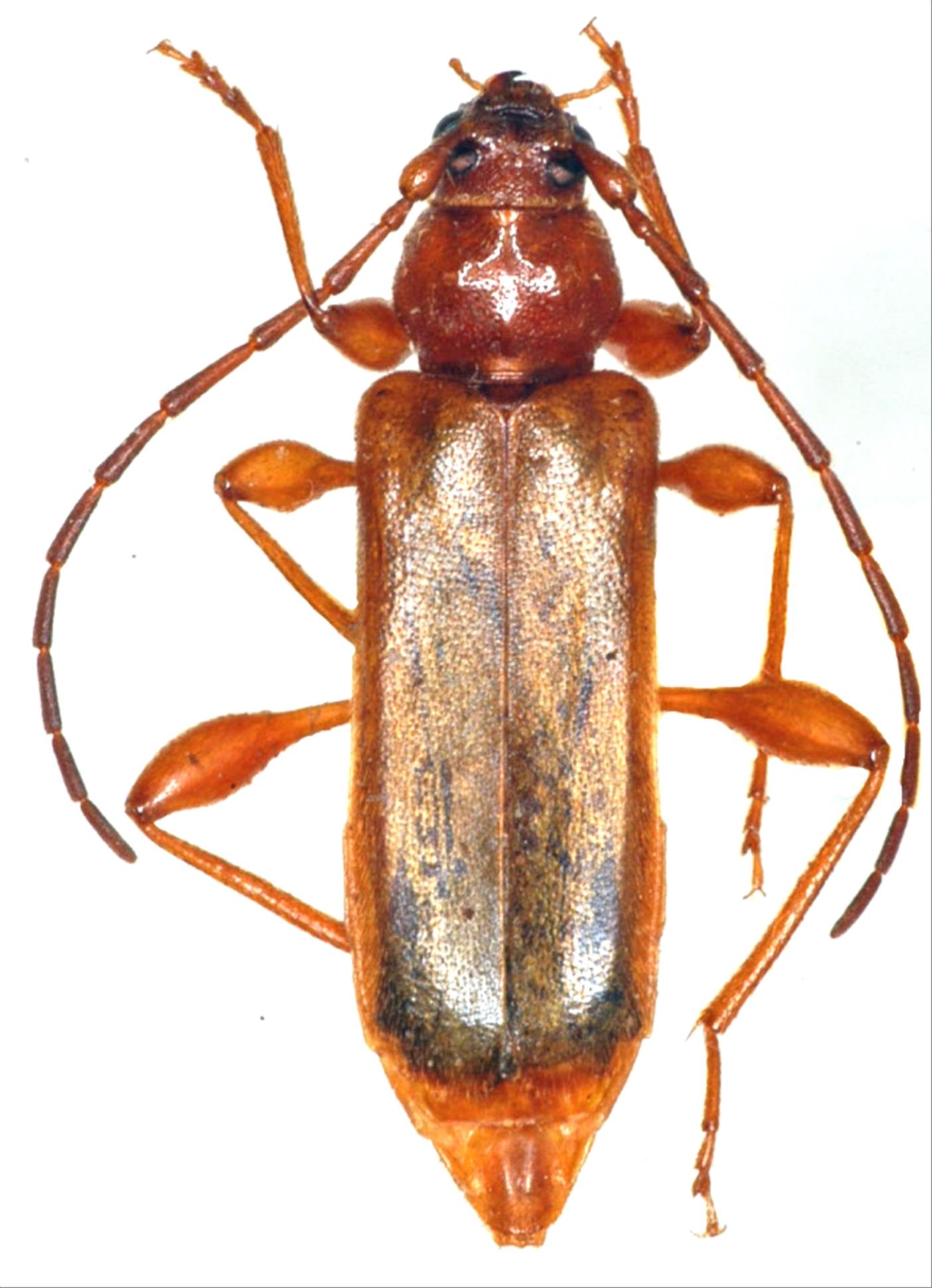
チャイロホソヒラタカミキリ
カミキリムシ科
カミキリ亜科


Phymatodes(Phymatodes) testaceus  (Linnaeus, 1758)
Cerambycidae
Cerambycinae
標本データ
性:メス
体長(mm):15
採集日:1982/06/27 〜 1982/06/28
採集地(国):日本
採集地(都道府県):福島県
採集地(市町村):檜枝岐村
採集地(詳細):
更新日:2017/08/08



戻る