カリバチの仲間

ホーム    成虫一覧    戻る
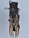
ハチ目
クモバチ科
ヒメクモバチ属
  
  
ナミヒメクモバチ
Auplopus carbonarius

  
ハチ目
クモバチ科
ヒゲクモバチ属
  
  
ペレエヒゲクモバチ
Dipogon conspersus

  
シロオビヒゲクモバチ
Dipogon sperconsus

  
ウスゲヒゲクモバチ
Dipogon romanokovae

  
コガタヒゲクモバチ
Dipogon bifasciatus

  
ニッポンヒゲクモバチ
Dipogon nipponicus

  
イワタヒゲクモバチ
Dipogon iwatai

  
ナガセヒゲクモバチ
Dipogon nagasei

  
ハチ目
ギングチバチ科
ホソギングチバチ属
  
  
エゾギングチ
Rhopalum jessonicum

  
クワヤマギングチ
Rhopalum kuwayamai

  
ハチ目
ギングチバチ科
ジガバチモドキ属
  
  
オオジガバチモドキ
Trypoxylon malaisei

  
ミヤマジガバチモドキ
Trypoxylon varipes

  
ニッポンジガバチモドキ
Trypoxylon nipponicum

  
マダラジガバチモドキ
Trypoxylon rufimaculatum

  
コシブトジガバチモドキ
Trypoxylon pacificum

  
ケシジガバチモドキ
Trypoxylon exiguum

  
ハチ目
アナバチ科
ツツジガバチ属
  
  
ミカドジガバチ
Hoplammophila aemulans

  
ハチ目
アナバチ科
ルリジガバチ属
  
  
ヤマトルリジガバチ
Chalybion japonicum

  
ハチ目
アナバチ科
ドロジガバチ属
  
  
モンキジガバチ
Sceliphron deforme

  
ハチ目
アナバチ科
ツツアナバチ属
  
  
コクロアナバチ
Isodontia nigella

  
アルマンアナバチ
Isodontia harmandi

  
キバネアナバチ
Isodontia maidli

  
ハチ目
スズメバチ科
キタドロバチ属
  
  
アジアキタドロバチ
Allodynerus mandschuricus

  
ハチ目
スズメバチ科
スジドロバチ属
  
  
シブヤスジドロバチ
Ancistrocerus trifasciatus

  
ヤマトスジドロバチ
Ancistrocerus japonicus

  
ハチ目
スズメバチ科
フタオビドロバチ属
  
  
オオフタオビドロバチ
Anterhynchium flavomarginatum

  
オデコフタオビドロバチ
Anterhynchium gibbifrons

  
ハチ目
スズメバチ科
フタスジスズバチ属
  
  
フタスジスズバチ
Discoelius zonalis

  
ハチ目
スズメバチ科
カバオビドロバチ属
  
  
カバオビドロバチ
Euodynerus dantici

  
ハチ目
スズメバチ科
エントツドロバチ属
  
  
エントツドロバチ
Orancistrocerus drewseni

  
ハチ目
スズメバチ科
カバフドロバチ属
  
  
ナミカバフドロバチ
Pararrhynchium ornatum

  
ハチ目
スズメバチ科
オオドロバチ属
  
  
フカイオオドロバチ
Rhynchium quinquecinctum

  
ハチ目
スズメバチ科
チビドロバチ属
  
  
カタグロチビドロバチ
Stenodynerus chinensis

  
ムナグロチビドロバチ
Stenodynerus tokyanus

  
キオビチビドロバチ
Stenodynerus frauenfeldi

  
ハチ目
スズメバチ科
ハムシドロバチ属
  
  
サイジョウハムシドロバチ
Symmorphus apiciornatus

  
ハラナガハムシドロバチ
Symmorphus foveolatus

  
同一縮尺ではありません