更新日:2021/11/12

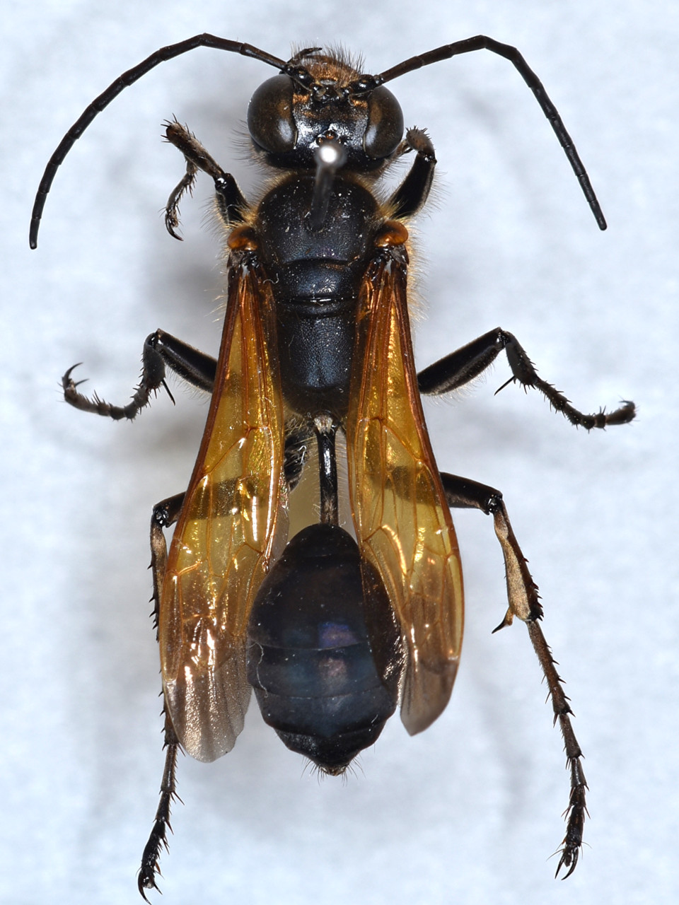
キバネアナバチ アルマンアナバチによく似ているが、後脚腿節は黒色。翅は黄色で先端のみ淡黒色。アルマンアナバチ同様、ササキリ類を狩り、コケを詰めるが、1つの育室で1匹の幼虫しか育てない。

Isodontia maidli (Yasumatsu, 1938)
アナバチ科
ツツアナバチ属

体長 メス 20 mm オス 20 mm
分布 本州、四国、九州、屋久島、奄美大島



メス背面 メス側面
標本産地: 熊本県 メス正面
オス背面 オス側面
標本産地: 熊本県 オス正面

カリバチ一覧    戻る