日本産カミキリムシ
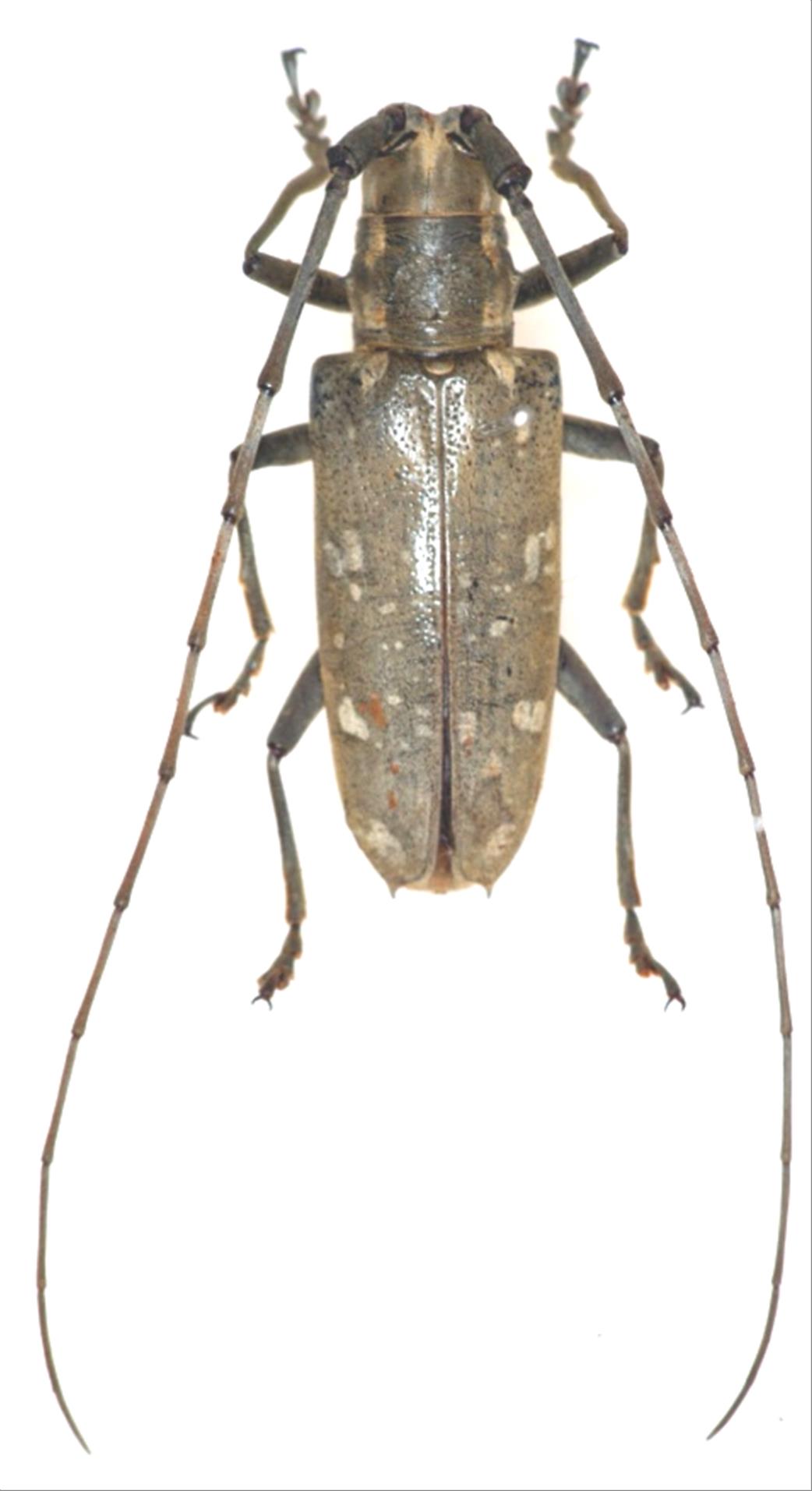
アマミキボシカミキリ
カミキリムシ科
フトカミキリ亜科
Psacathea
 
hilaris
 
maculata
 
Breuning, 1954
Cerambycidae
Lamiinae
標本データ
性:メス
体長(mm):28
採集日:2004/06/25 〜 2004/07/02
採集地(国):日本
採集地(都道府県):鹿児島県
採集地(市町村):瀬戸内町油井岳
採集地(詳細):奄美大島
更新日:2017/08/08
ウィンドウを閉じ,検索結果へ