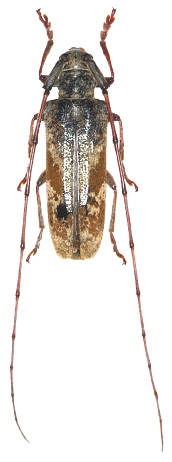
日本産カミキリムシ

ゴマフキマダラカミキリ
カミキリムシ科
フトカミキリ亜科


Annamanum griseolum  (Bates, 1884)
Cerambycidae
Lamiinae
標本データ
性:メス
体長(mm):16
採集日:1980/08/20
採集地(国):日本
採集地(都道府県):栃木県
採集地(市町村):日光市金精沢
採集地(詳細):
更新日:2017/08/08


ウィンドウを閉じ,検索結果へ