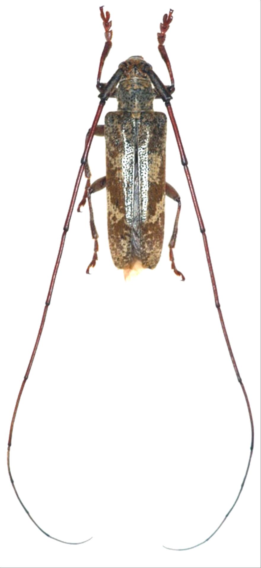
日本産カミキリムシ

ゴマフキマダラカミキリ
カミキリムシ科
フトカミキリ亜科


Annamanum griseolum  (Bates, 1884)
Cerambycidae
Lamiinae
標本データ
性:オス
体長(mm):15
採集日:1981/08/15
採集地(国):日本
採集地(都道府県):群馬県
採集地(市町村):片品村香沢
採集地(詳細):
更新日:2017/08/08


ウィンドウを閉じ,検索結果へ