日本産カミキリムシ
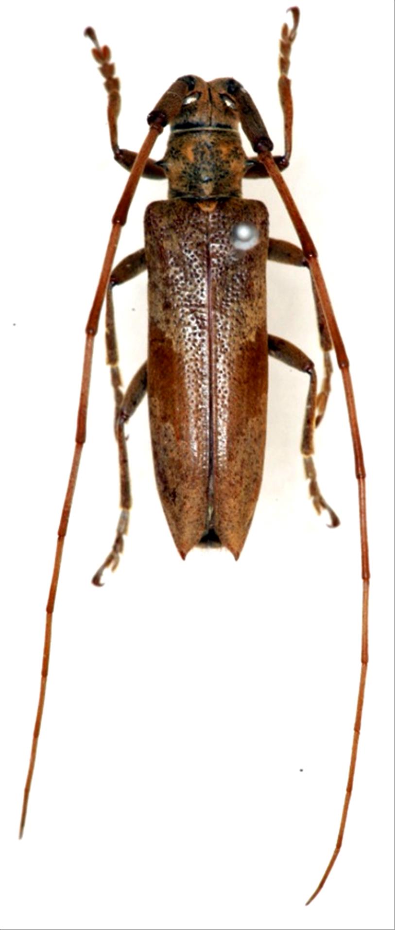
ハチジョウトカラヤハズカミキリ
カミキリムシ科
フトカミキリ亜科
Uraecha
 
gilva
 
hachijoensis
 
Hayashi, 1969
Cerambycidae
Lamiinae
標本データ
性:メス
体長(mm):17
採集日:2004/07
採集地(国):日本
採集地(都道府県):東京都
採集地(市町村):三宅村伊ヶ谷
採集地(詳細):三宅島
更新日:2017/08/08
ウィンドウを閉じ,検索結果へ