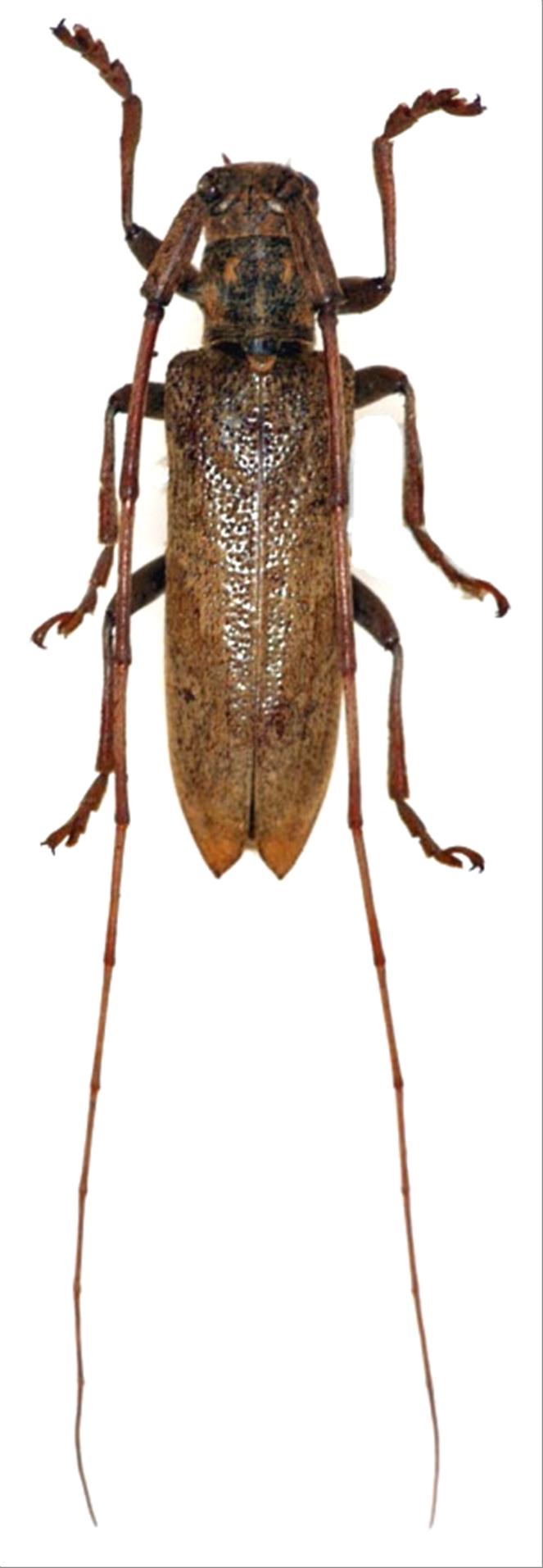
日本産カミキリムシ
トカラヤハズカミキリ
カミキリムシ科
フトカミキリ亜科
Uraecha
 
gilva
 
gilva
 
Yokoyama, 1966
Cerambycidae
Lamiinae
標本データ
性:メス
体長(mm):21.5
採集日:1975/07/25
採集地(国):日本
採集地(都道府県):鹿児島県
採集地(市町村):三島村おおごら
採集地(詳細):黒島
更新日:2017/08/08
ウィンドウを閉じ,検索結果へ