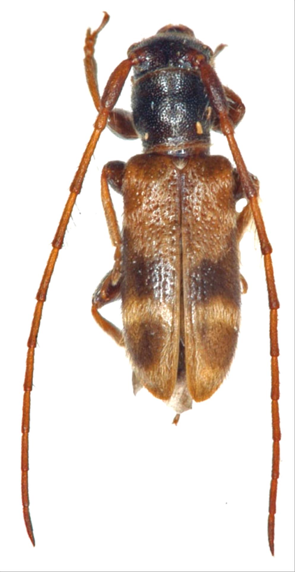
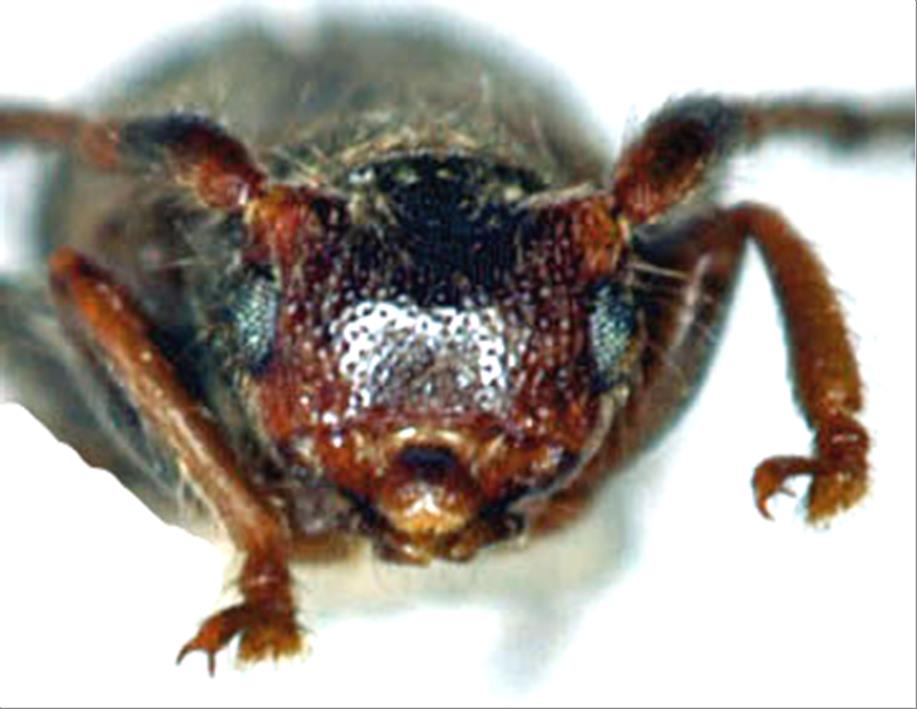
日本産カミキリムシ
ニイジマチビカミキリ
カミキリムシ科
フトカミキリ亜科
Egesina
 
bifaseiana
 
bifasciana
 
(Matsushita, 1933)
Cerambycidae
Lamiinae
標本データ
性:オス
体長(mm):4
採集日:1983/07/18
採集地(国):日本
採集地(都道府県):北海道
採集地(市町村):札幌市豊平区羊ヶ丘
採集地(詳細):
更新日:2017/08/08
ウィンドウを閉じ,検索結果へ