日本産カミキリムシ

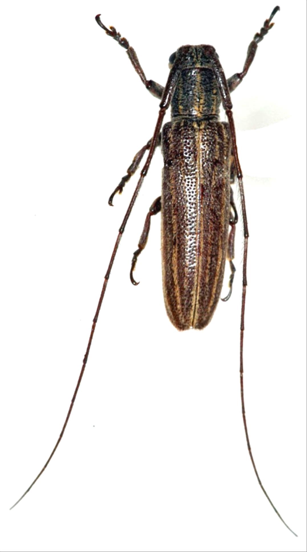
イマサカドウボソカミキリ
カミキリムシ科
フトカミキリ亜科


Pothyne imasakai  Hayashi, 1976
Cerambycidae
Lamiinae
標本データ
性:オス
体長(mm):13.5
採集日:1974/05/28
採集地(国):日本
採集地(都道府県):沖縄県
採集地(市町村):多良間村
採集地(詳細):多良間島
更新日:2017/08/08


ウィンドウを閉じ,検索結果へ