日本産カミキリムシ
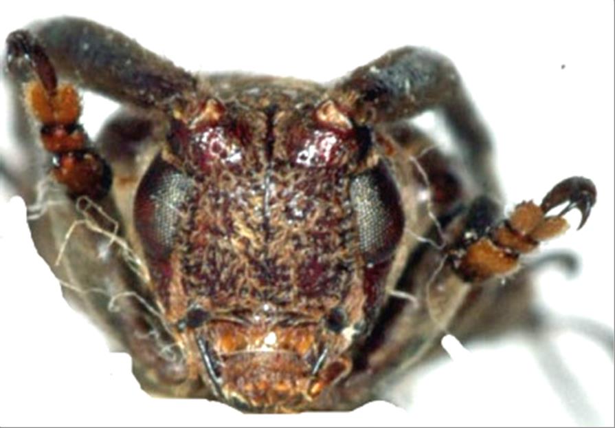
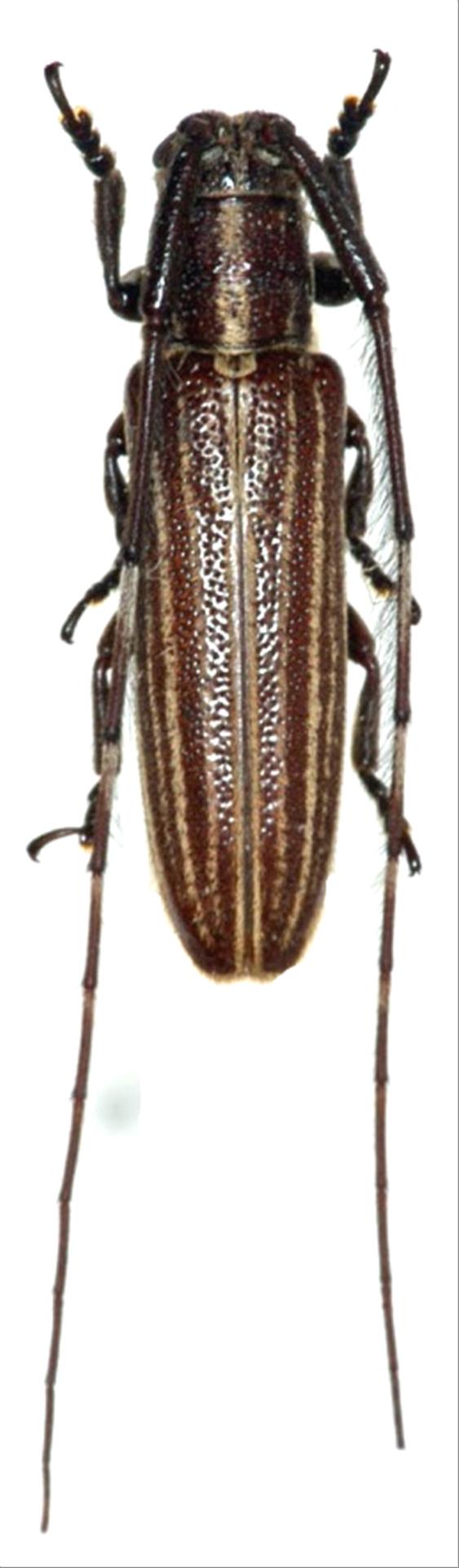
ヨナグニシロスジドウボソカミキリ
カミキリムシ科
フトカミキリ亜科
Pothyne
 
annulata
 
yonaguniensis
 
Hayashi, 1976
Cerambycidae
Lamiinae
標本データ
性:オス
体長(mm):14
採集日:1973/05/08
採集地(国):日本
採集地(都道府県):沖縄県
採集地(市町村):宮古島市保良
採集地(詳細):
更新日:2017/08/08
ウィンドウを閉じ,検索結果へ