日本産カミキリムシ
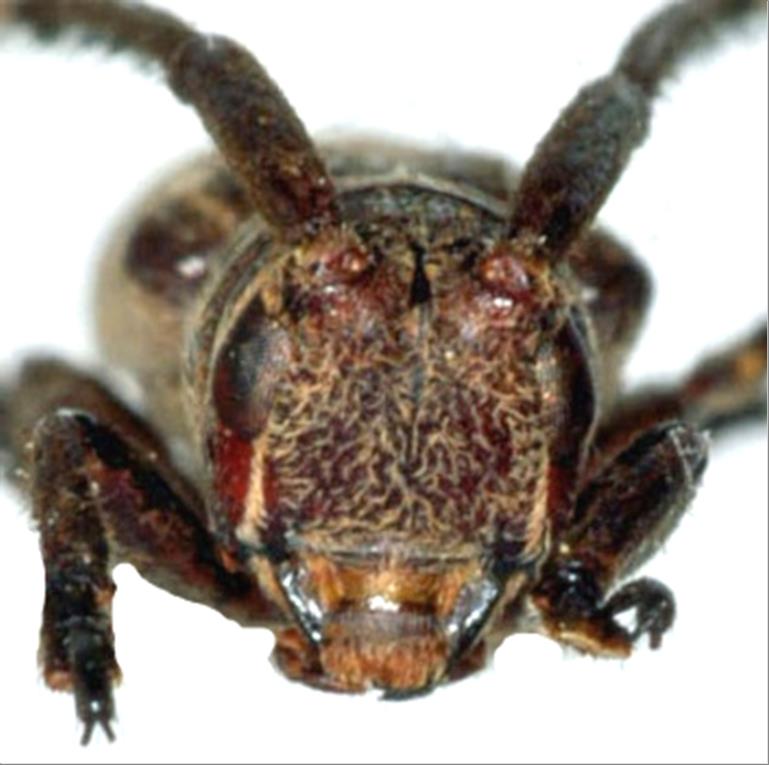
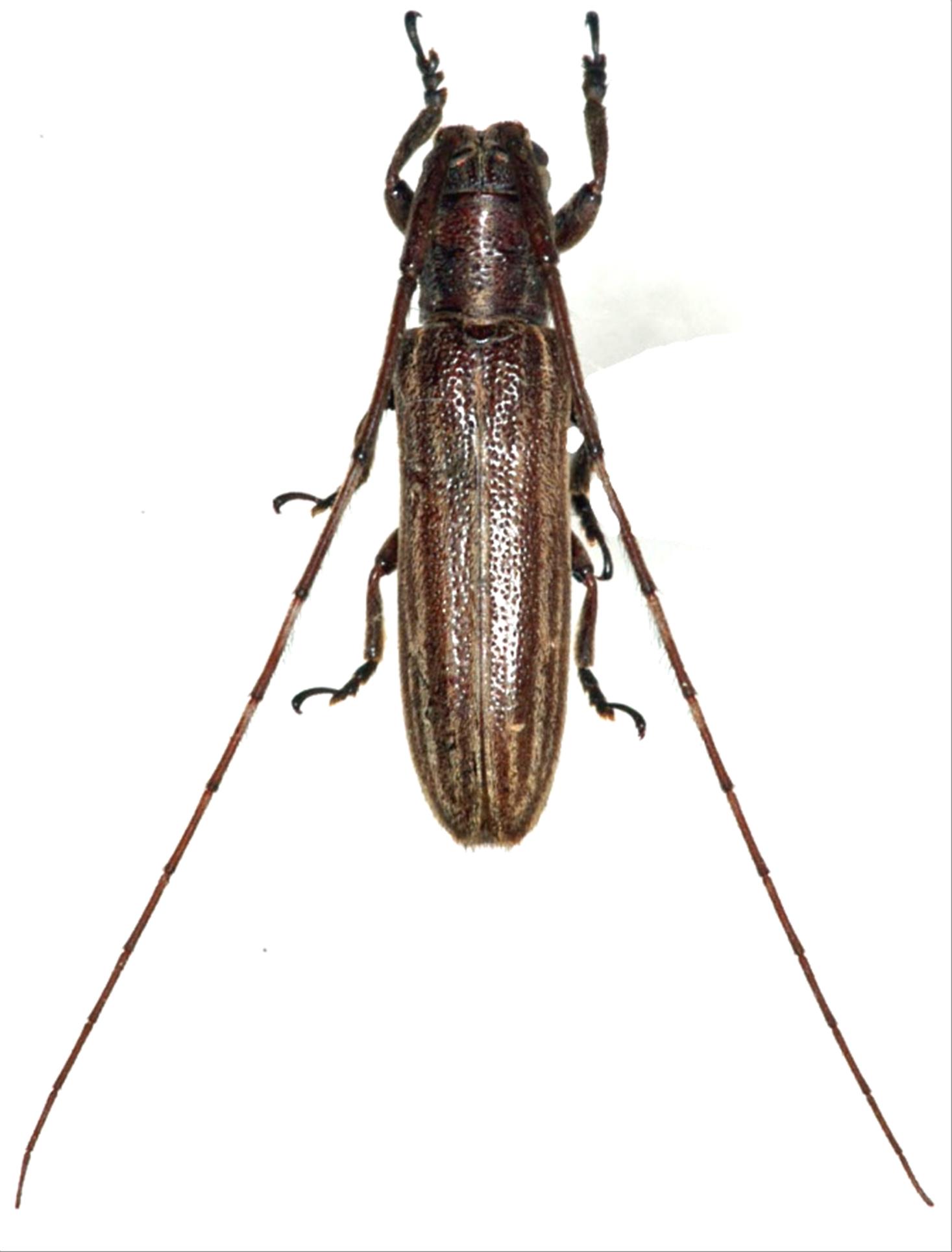
イシガキシロスジドウボソカミキリ
カミキリムシ科
フトカミキリ亜科
Pothyne
 
annulata
 
ishigakiana
 
Takakuwa et Kusama, 1979
Cerambycidae
Lamiinae
標本データ
性:オス
体長(mm):14.5
採集日:1975/05/31
採集地(国):日本
採集地(都道府県):沖縄県
採集地(市町村):宮古島市上比屋
採集地(詳細):
更新日:2017/08/08
ウィンドウを閉じ,検索結果へ