日本産カミキリムシ
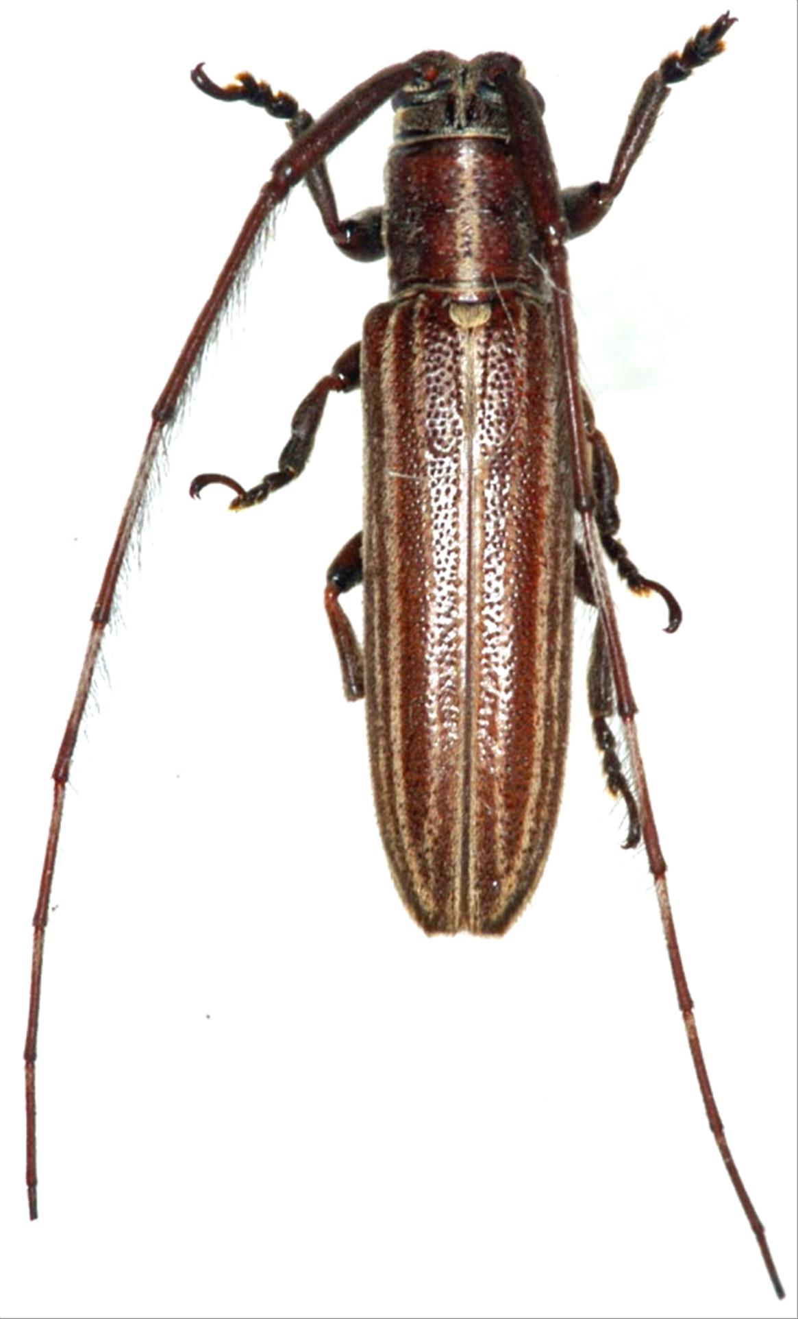
シロスジドウボソカミキリ
カミキリムシ科
フトカミキリ亜科
Pothyne
 
annulata
 
annulata
 
Breuning, 1942
Cerambycidae
Lamiinae
標本データ
性:メス
体長(mm):15
採集日:1978/05/18
採集地(国):日本
採集地(都道府県):沖縄県
採集地(市町村):国頭村奥
採集地(詳細):
更新日:2017/08/08
ウィンドウを閉じ,検索結果へ