日本産カミキリムシ

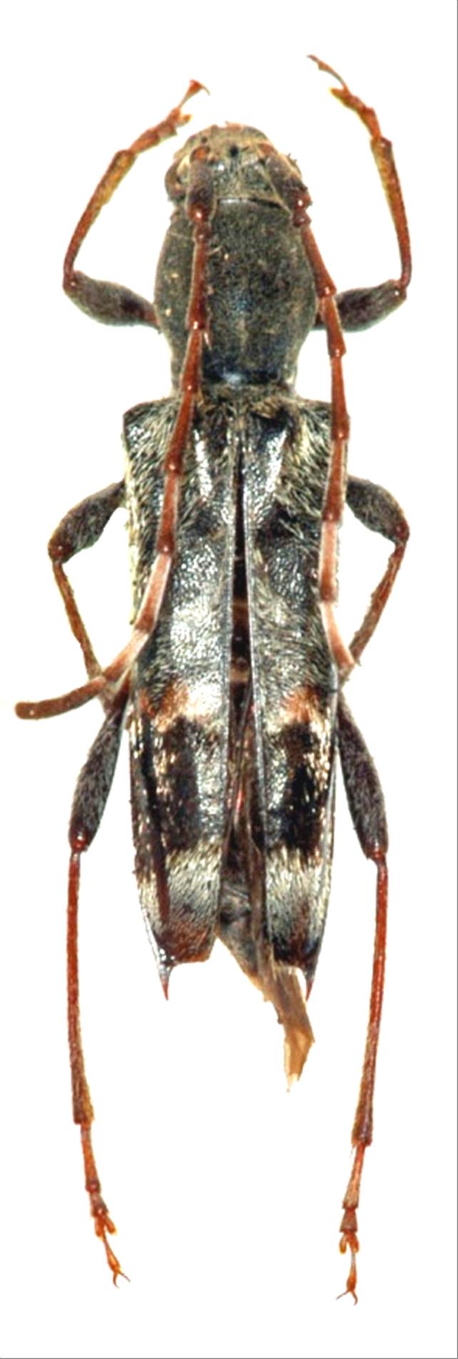
サツマスギノアカネトラカミキリ
カミキリムシ科
カミキリ亜科


Anaglyptus  yakushimanus  Hayashi, 1968
Cerambycidae
Cerambycinae
標本データ
性:オス
体長(mm):10
採集日:1994/05/06
採集地(国):日本
採集地(都道府県):鹿児島県
採集地(市町村):鹿児島市宮之浦
採集地(詳細):
更新日:2017/08/08


ウィンドウを閉じ,検索結果へ