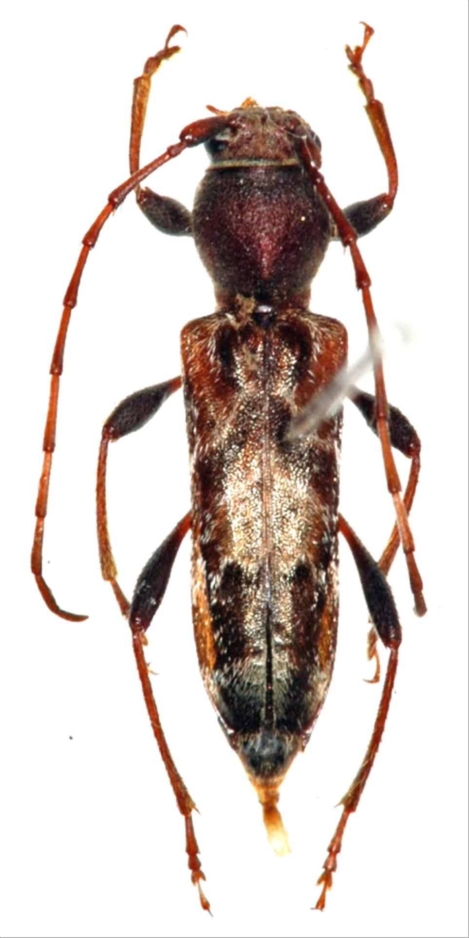
日本産カミキリムシ

スギノアカネトラカミキリ
カミキリムシ科
カミキリ亜科


Anaglyptus  subfasciatus  Pic, 1906
Cerambycidae
Cerambycinae
標本データ
性:メス
体長(mm):11
採集日:1995
採集地(国):日本
採集地(都道府県):神奈川県
採集地(市町村):小田原市
採集地(詳細):
更新日:2017/08/08


ウィンドウを閉じ,検索結果へ