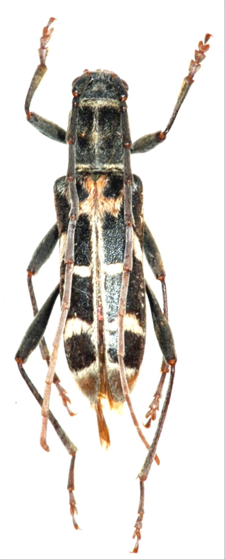
日本産カミキリムシ

シロトラカミキリ
カミキリムシ科
カミキリ亜科


Paraclytus excultus  Bates, 1884
Cerambycidae
Cerambycinae
標本データ
性:オス
体長(mm):13
採集日:1984/07/10 〜 1984/07/12
採集地(国):日本
採集地(都道府県):栃木県
採集地(市町村):日光市川俣八丁ノ湯
採集地(詳細):
更新日:2017/08/08


ウィンドウを閉じ,検索結果へ