日本産カミキリムシ

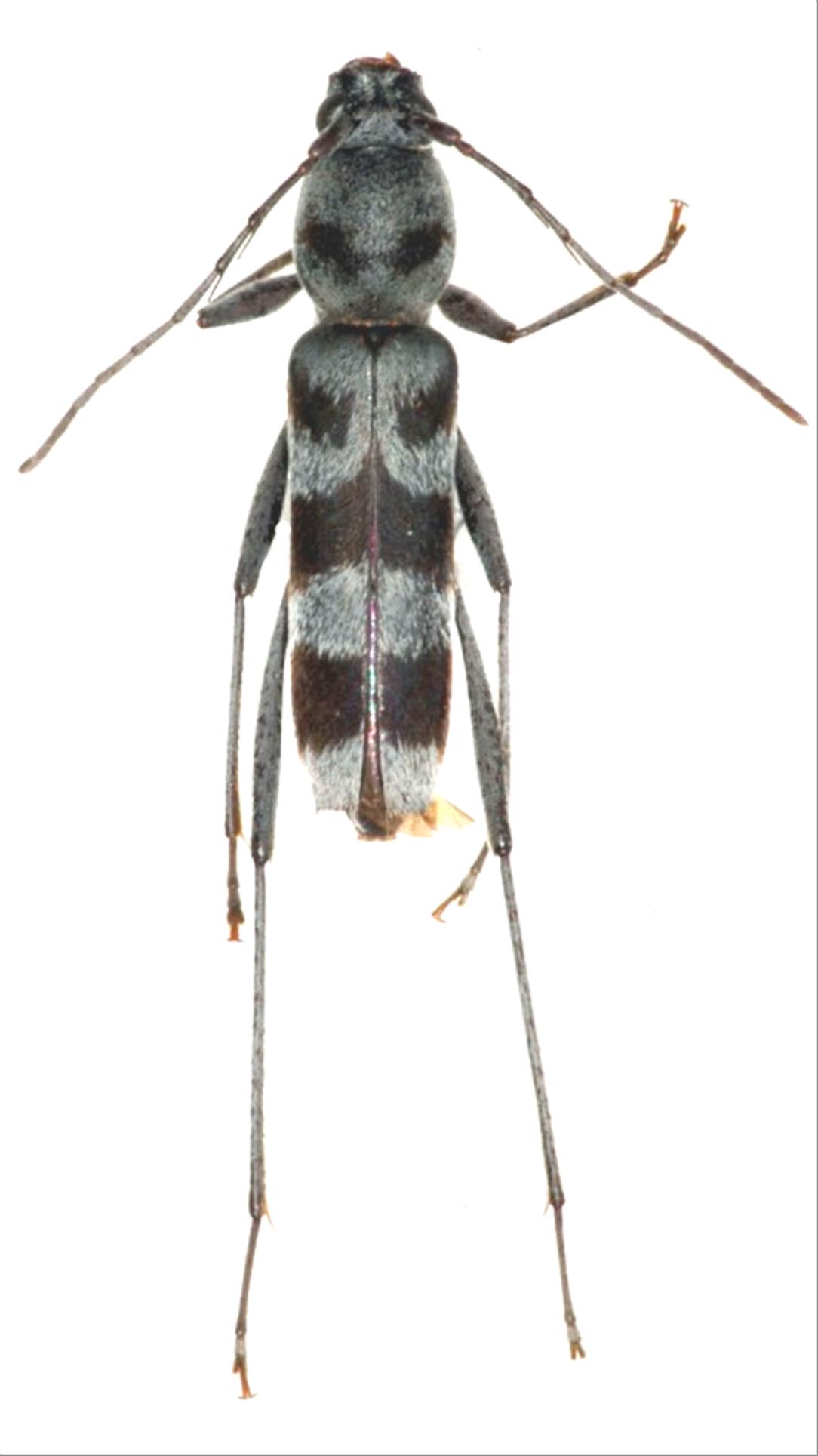
オオバヤシトゲヒゲトラカミキリ
カミキリムシ科
カミキリ亜科


Demonax ohbayashii  Samuelson et Gressitt, 1965
Cerambycidae
Cerambycinae
標本データ
性:メス
体長(mm):8
採集日:2003/03/03
採集地(国):日本
採集地(都道府県):沖縄県
採集地(市町村):石垣市於茂登岳
採集地(詳細):
更新日:2017/08/08


ウィンドウを閉じ,検索結果へ