日本産カミキリムシ

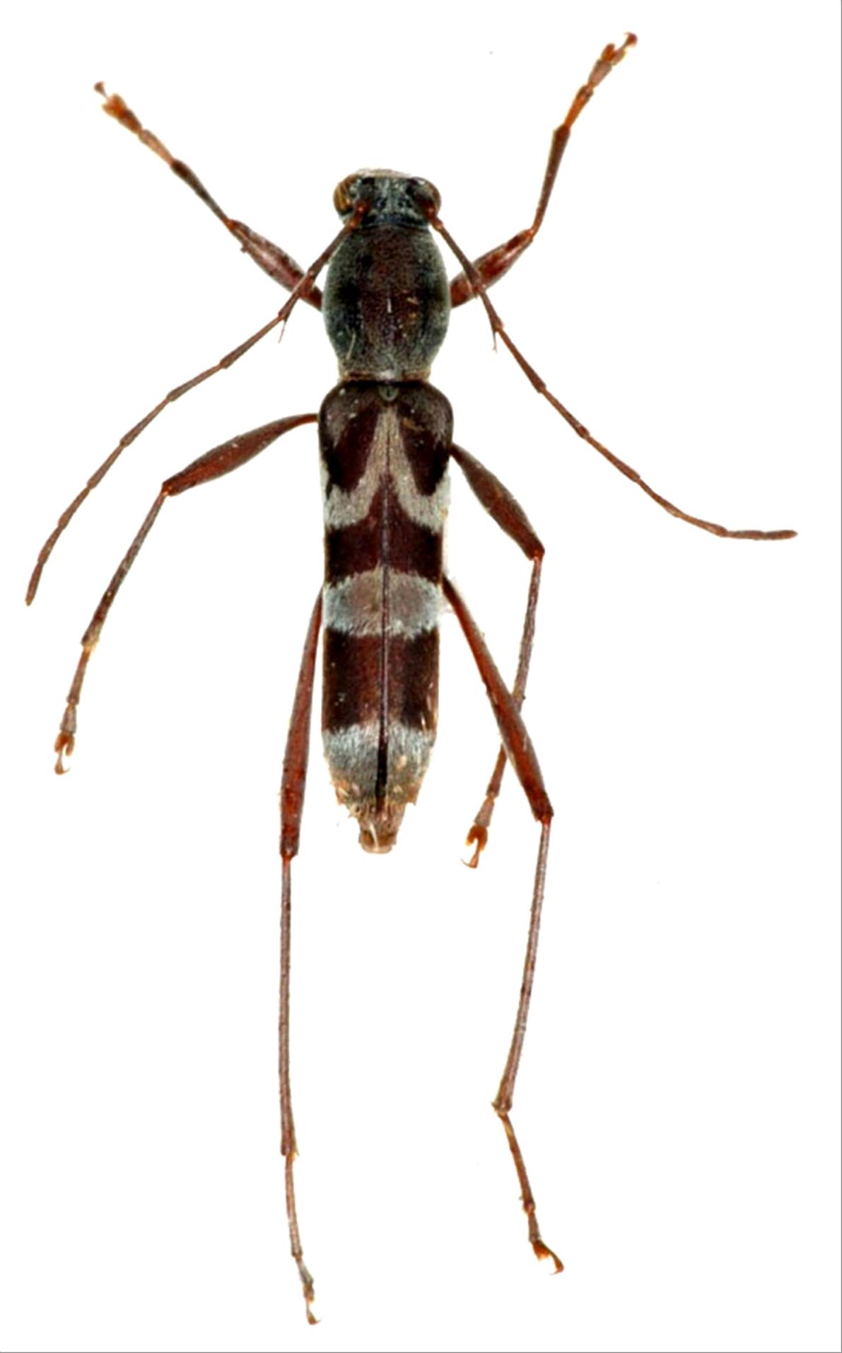
サキシマトゲヒゲトラカミキリ
カミキリムシ科
カミキリ亜科


Demonax masatakai  K. Ohbayashi, 1964
Cerambycidae
Cerambycinae
標本データ
性:オス
体長(mm):7
採集日:1975/05/24
採集地(国):日本
採集地(都道府県):沖縄県
採集地(市町村):石垣市植物園
採集地(詳細):
更新日:2017/08/08


ウィンドウを閉じ,検索結果へ