日本産カミキリムシ

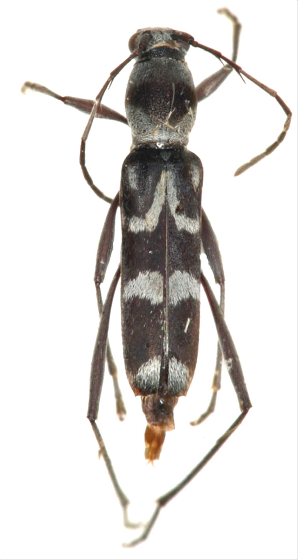
アマミトゲヒゲトラカミキリ
カミキリムシ科
カミキリ亜科


Demonax semixeniscus  Hayashi, 1962
Cerambycidae
Cerambycinae
標本データ
性:メス
体長(mm):8
採集日:2004/07/03 〜 2004/07/15
採集地(国):日本
採集地(都道府県):鹿児島県
採集地(市町村):瀬戸内町油井岳
採集地(詳細):奄美大島
更新日:2017/08/08


ウィンドウを閉じ,検索結果へ