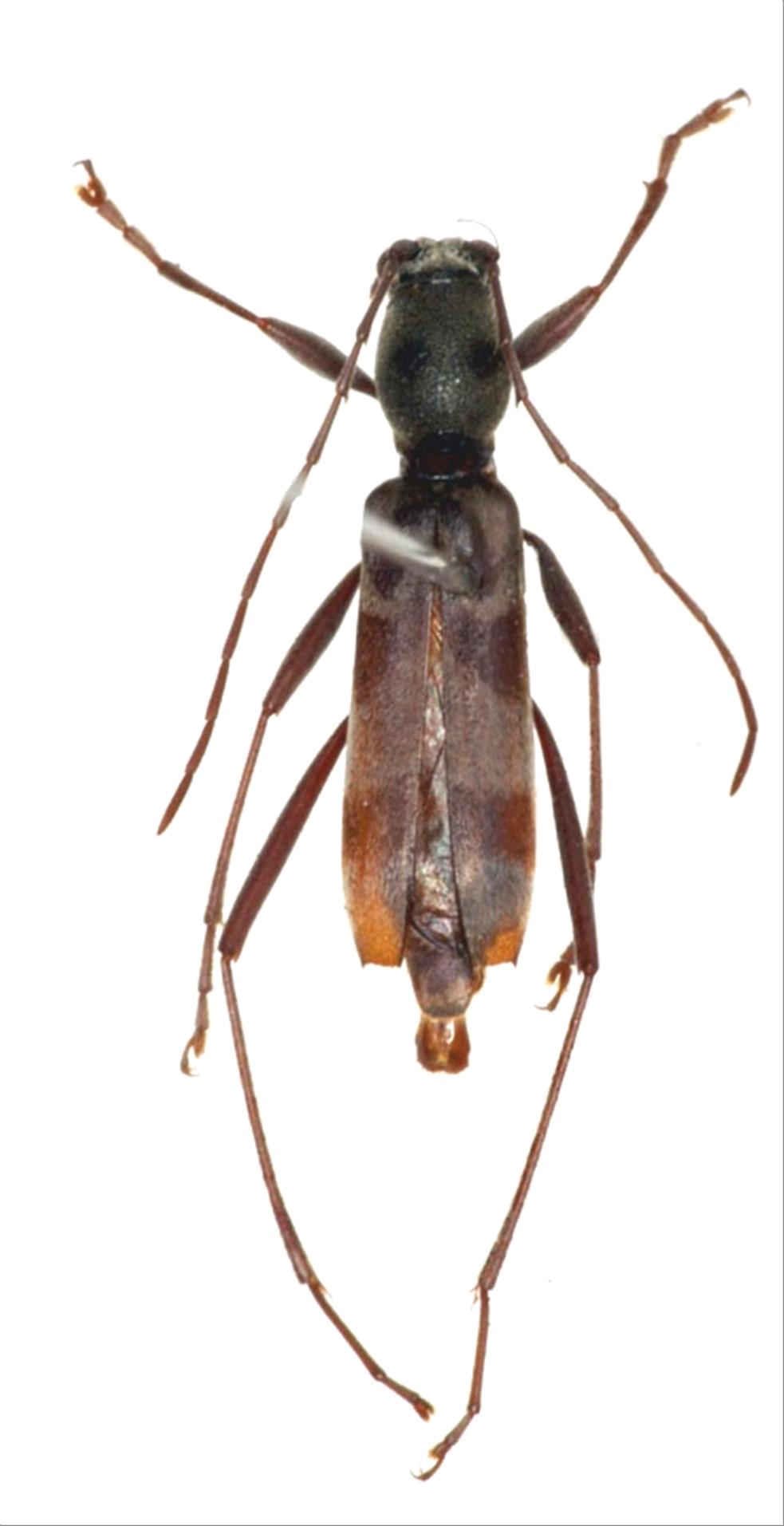
日本産カミキリムシ

トゲヒゲトラカミキリ
カミキリムシ科
カミキリ亜科


Demonax transilis  Bates, 1884
Cerambycidae
Cerambycinae
標本データ
性:メス
体長(mm):7.5
採集日:1970/04/26
採集地(国):日本
採集地(都道府県):鹿児島県
採集地(市町村):鹿児島市平川町烏帽子岳
採集地(詳細):
更新日:2017/08/08


ウィンドウを閉じ,検索結果へ