日本産カミキリムシ
キイロトラカミキリ
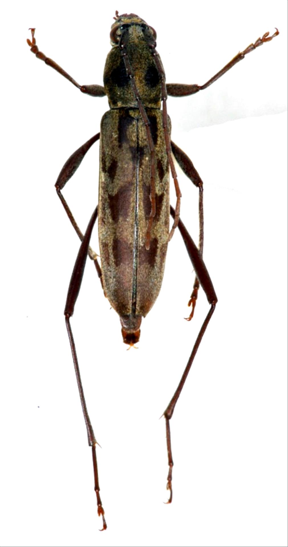
カミキリムシ科
カミキリ亜科
Grammographus
 
notabillis
 
notabillis
 
(Pascoe, 1862)
Cerambycidae
Cerambycinae
標本データ
性:メス
体長(mm):14
採集日:1983/07/05 〜 1983/07/09
採集地(国):日本
採集地(都道府県):長崎県
採集地(市町村):対馬市峰町大星山
採集地(詳細):
更新日:2017/08/08
ウィンドウを閉じ,検索結果へ