日本産カミキリムシ

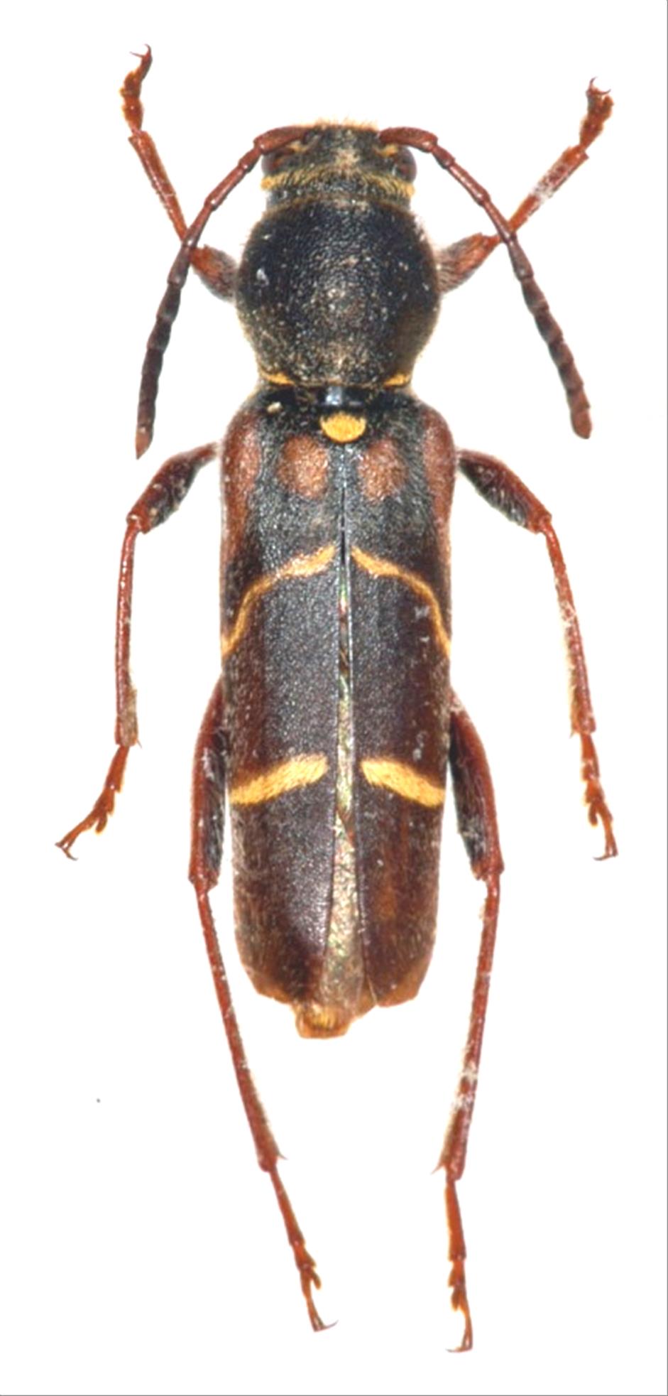
アカネキスジトラカミキリ
カミキリムシ科
カミキリ亜科


Cyrtoclytus monticallisus  Komiya, 1980
Cerambycidae
Cerambycinae
標本データ
性:オス
体長(mm):14
採集日:1981
採集地(国):日本
採集地(都道府県):新潟県
採集地(市町村):
採集地(詳細):
更新日:2017/08/08


ウィンドウを閉じ,検索結果へ