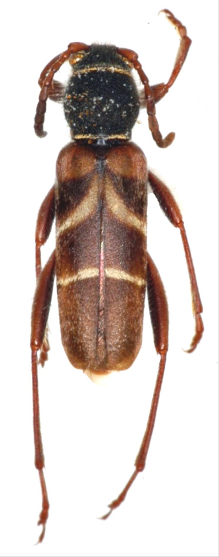
日本産カミキリムシ

アカネトラカミキリ
カミキリムシ科
カミキリ亜科


Brachyclytus singularis  Kraatz, 1879
Cerambycidae
Cerambycinae
標本データ
性:メス
体長(mm):9
採集日:1996/06/15
採集地(国):日本
採集地(都道府県):茨城県
採集地(市町村):北茨城市小川
採集地(詳細):
更新日:2017/08/08


ウィンドウを閉じ,検索結果へ