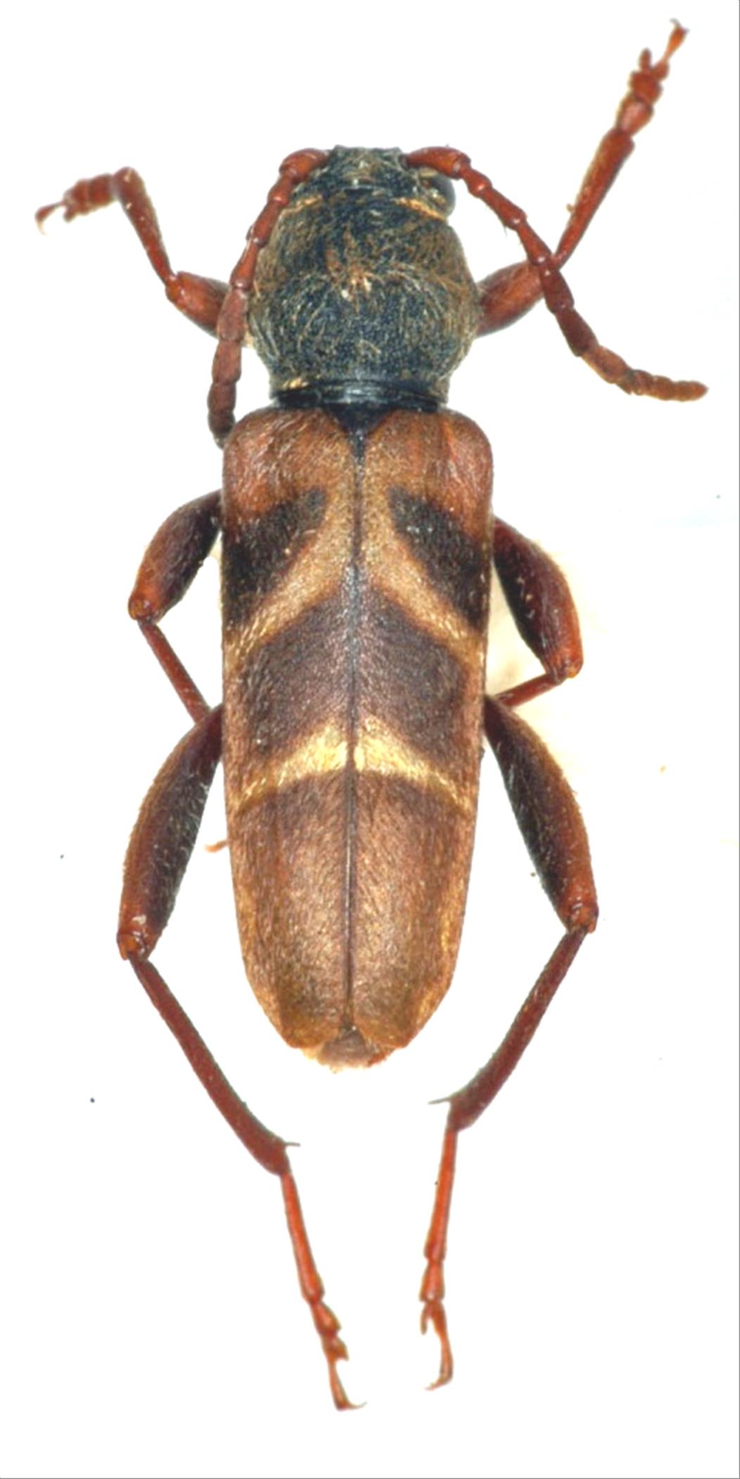
日本産カミキリムシ

アカネトラカミキリ
カミキリムシ科
カミキリ亜科


Brachyclytus singularis  Kraatz, 1879
Cerambycidae
Cerambycinae
標本データ
性:オス
体長(mm):10
採集日:1982/06/19 〜 1982/06/20
採集地(国):日本
採集地(都道府県):福島県
採集地(市町村):檜枝岐村
採集地(詳細):
更新日:2017/08/08


ウィンドウを閉じ,検索結果へ