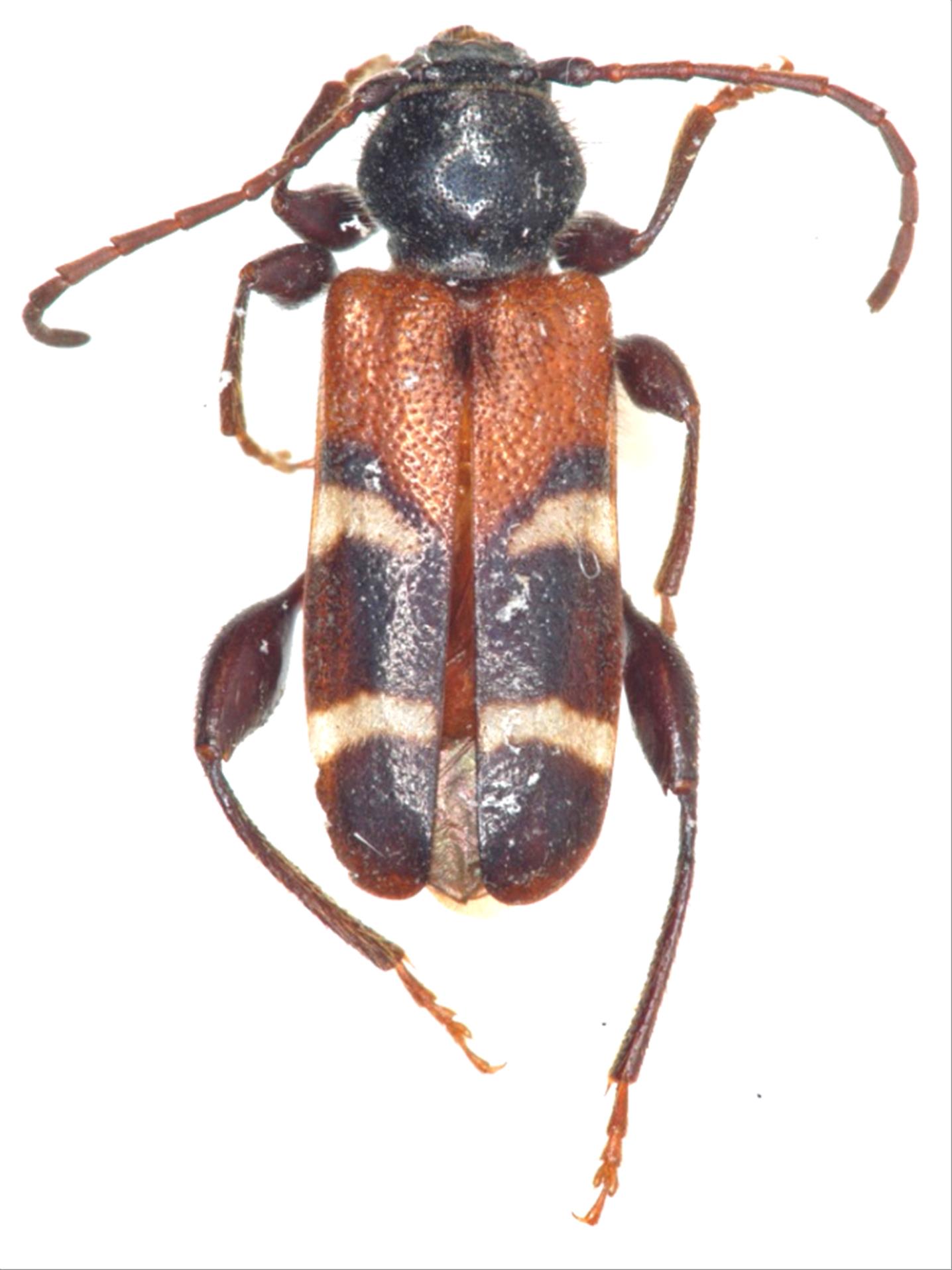
日本産カミキリムシ
アカネカミキリ
カミキリムシ科
カミキリ亜科
Poecillium
 
maaki
 
viarium
 
Danilevsky, 1988
Cerambycidae
Cerambycinae
標本データ
性:メス
体長(mm):9
採集日:1980/06/12
採集地(国):日本
採集地(都道府県):北海道
採集地(市町村):札幌市中央区丸山
採集地(詳細):
更新日:2017/08/08
ウィンドウを閉じ,検索結果へ