日本産カミキリムシ

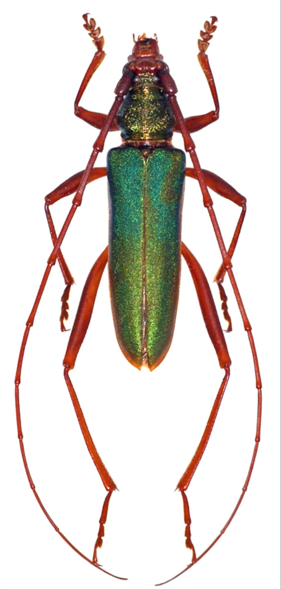
アカアシオオアオカミキリ
カミキリムシ科
カミキリ亜科


Chloridolum japonicum  Harold, 1879
Cerambycidae
Cerambycinae
標本データ
性:オス
体長(mm):29
採集日:1979/08/15
採集地(国):日本
採集地(都道府県):埼玉県
採集地(市町村):さいたま市秋ヶ瀬
採集地(詳細):
更新日:2017/08/08


ウィンドウを閉じ,検索結果へ