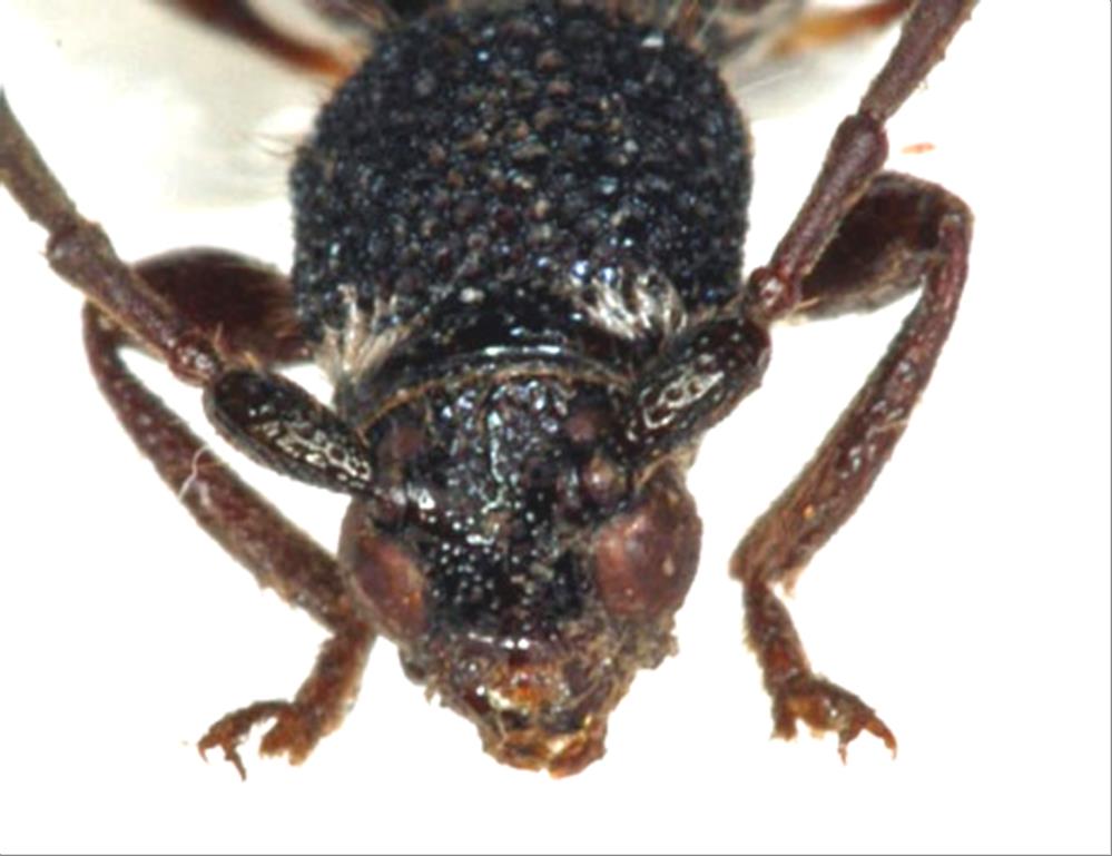
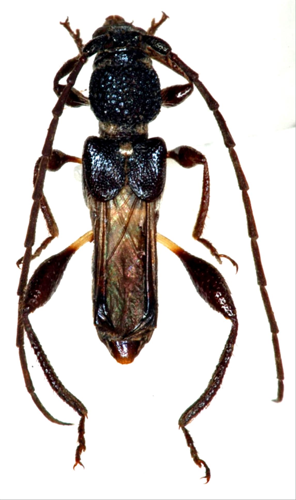
日本産カミキリムシ
アオヒメコバネカミキリ
カミキリムシ科
カミキリ亜科
Epania
 
shikokensis
 
maruokai
 
Hayashi, 1968
Cerambycidae
Cerambycinae
標本データ
性:オス
体長(mm):9
採集日:1969/04/15 〜 1969/04/21
採集地(国):日本
採集地(都道府県):沖縄県
採集地(市町村):竹富町御座岳
採集地(詳細):西表島
更新日:2017/08/08
ウィンドウを閉じ,検索結果へ