日本産カミキリムシ
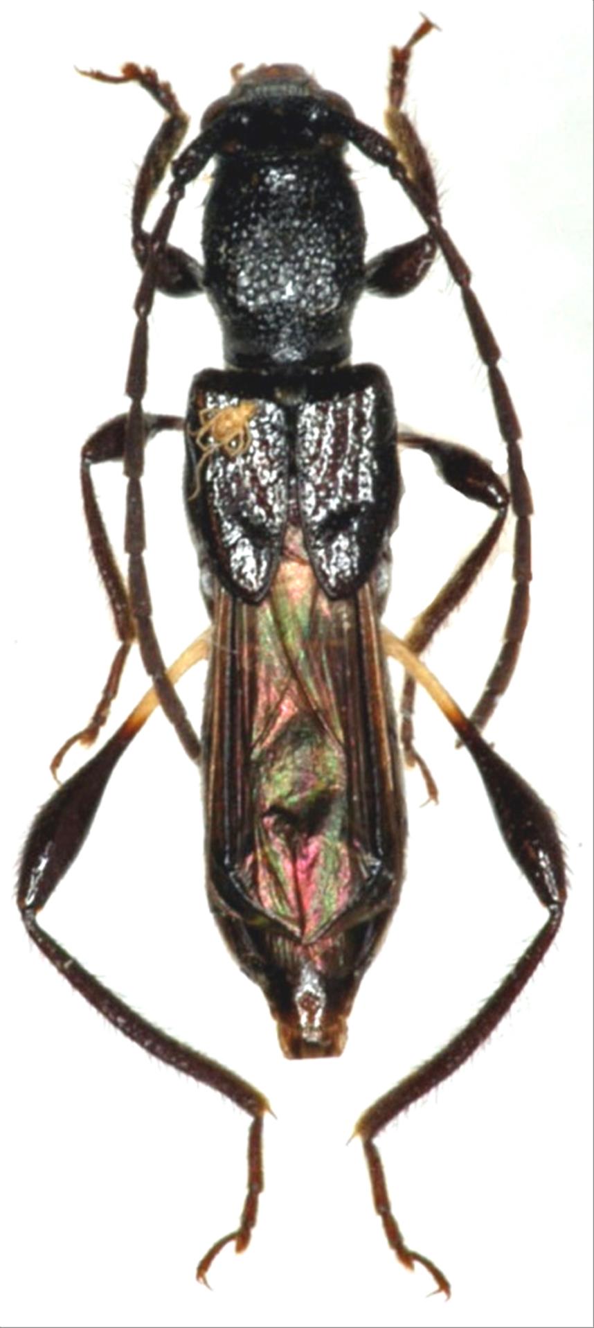
オキナワヒゲナガコバネカミキリ
カミキリムシ科
カミキリ亜科
Glaphyra
 
shibatai
 
okinawanus
 
Hayashi et Matsuda, 1976
Cerambycidae
Cerambycinae
標本データ
性:メス
体長(mm):9
採集日:1990/04/09
採集地(国):日本
採集地(都道府県):沖縄県
採集地(市町村):久米島町だるま山
採集地(詳細):
更新日:2017/08/08
ウィンドウを閉じ,検索結果へ