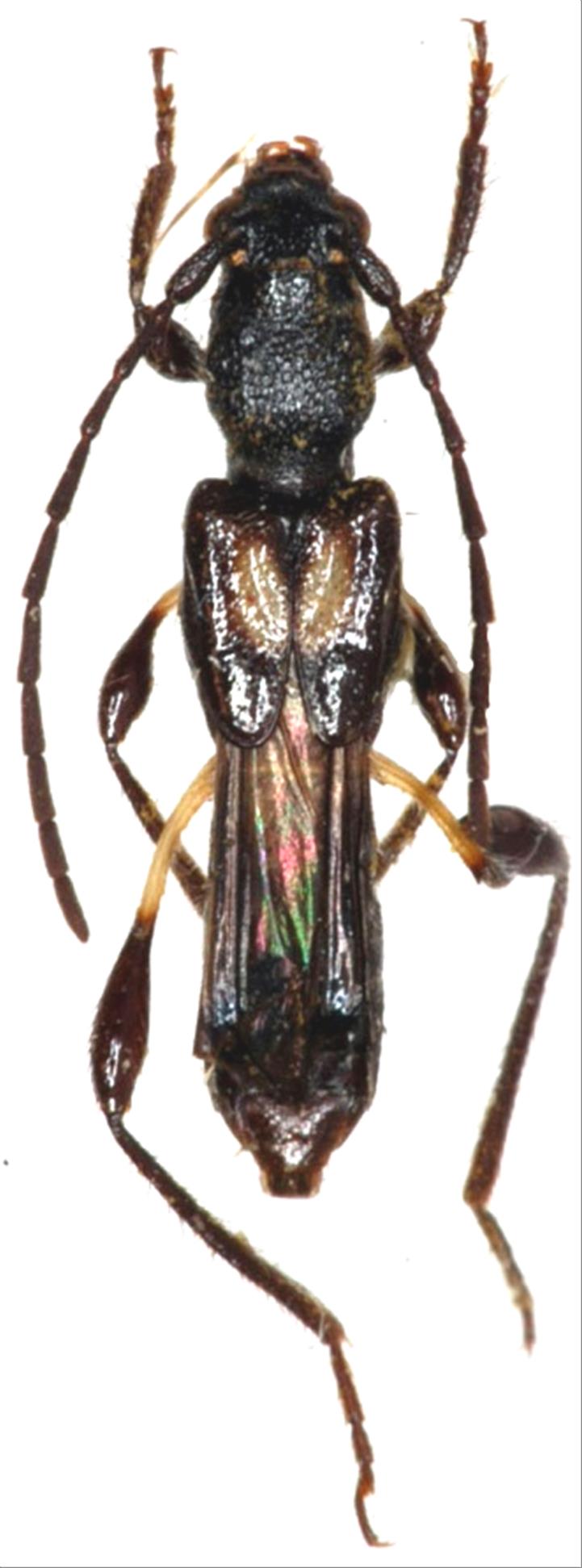
日本産カミキリムシ
シバタヒゲナガコバネカミキリ
カミキリムシ科
カミキリ亜科
Glaphyra
 
shibatai
 
shibatai
 
Hayashi, 1961
Cerambycidae
Cerambycinae
標本データ
性:メス
体長(mm):8
採集日:1975/04/11
採集地(国):日本
採集地(都道府県):鹿児島県
採集地(市町村):奄美市住用町西仲間
採集地(詳細):
更新日:2017/08/08
ウィンドウを閉じ,検索結果へ